¥°¥ì¾ðÊó
2025ǯ12·î11Æü
º£Æü¤ÎÄà²Ì¤Ç¤¹¡ª¡ª
º£Æü¤ÏÄ«¤Î¤¦¤ÁÉ÷¤âÂ礷¤¿¤³¤È̵¤¯½çÄ´¤Ë¤ä¤ì¤Æµï¤¿¤Î¤Ç¤¹¤¬£±£²»þ²á¤®¤ËÄà¤ê»Õ¤µ¤ó¤«¤é¤¢¤ë¾ì½ê¤ÇÇȤòÈï¤Ã¤Æ¥¥Ä¥¤¶»¤ÎÏ¢Íí¤¬Æþ¤êµÞî±Å±¼ý¤Î±¿¤Ó¤ËÀ®¤ê¤Þ¤·¤¿
¡¡¡¡
Äà¤ê»Õ¤µ¤ó¤Ë¤è¤Ã¤Æ¤Ï£µ£°cm¶á¤¤¥°¥ì¤ò¥²¥Ã¥È¤µ¤ì¤Æµï¤¿Êý¤â¤ª¤é¤ì¤Þ¤·¤¿¤¬Á´ÂΤ˥µ¥¤¥º¤Ë¥Á¥ç¥Ã¥È¥à¥é¤ò´¶¤¸¤Þ¤·¤¿
¡¡¡¡
ÌÀÆü°Ê¹ß¥Á¥ç¥Ã¥ÈÅ·¸õ¤¬ÉÔ°ÂÄê¤ß¤¿¤¤¤Ê¤Î¤ÇÌÀÆü¤ÏµÙ¤ß¤Ë¤·¤Þ¤·¤¿
¡¡¡¡
ÌÀ¸åÆü¡ÊÅÚÍËÆü¡Ë¤Ïº£Æü¤ÎͽÊó¤Ç¤Ï¤ä¤ì¤½¤¦¤Ê´¶¤¸¤ò¼õ¤±¤Æµï¤Þ¤¹¤¬ÆüÍËÆü¡¦·îÍËÆü¤Ïº£¤Î½ê¸·¤·¤½¤¦¤Ç¤¹
¡¡Å·µ¤Í½Êó¤ò¥·¥Ã¥«¥ê³Îǧ¤·¤Æ½Ð¹Ò¡¦·ç¹Ò¤ÎȽÃǤòÃפ·¤Þ¤·¤ç¤¦
¡¡¡¡
Äà²Ì¤Ï½çÄ´¤ËÁ°¸þ¤¤ËÀ®¤Ã¤ÆÍ褿¤è¤¦¤Ë´¶¤¸¤Þ¤¹







Äà¤ê»Õ¤µ¤ó¤Ë¤è¤Ã¤Æ¤Ï£µ£°cm¶á¤¤¥°¥ì¤ò¥²¥Ã¥È¤µ¤ì¤Æµï¤¿Êý¤â¤ª¤é¤ì¤Þ¤·¤¿¤¬Á´ÂΤ˥µ¥¤¥º¤Ë¥Á¥ç¥Ã¥È¥à¥é¤ò´¶¤¸¤Þ¤·¤¿
ÌÀÆü°Ê¹ß¥Á¥ç¥Ã¥ÈÅ·¸õ¤¬ÉÔ°ÂÄê¤ß¤¿¤¤¤Ê¤Î¤ÇÌÀÆü¤ÏµÙ¤ß¤Ë¤·¤Þ¤·¤¿
ÌÀ¸åÆü¡ÊÅÚÍËÆü¡Ë¤Ïº£Æü¤ÎͽÊó¤Ç¤Ï¤ä¤ì¤½¤¦¤Ê´¶¤¸¤ò¼õ¤±¤Æµï¤Þ¤¹¤¬ÆüÍËÆü¡¦·îÍËÆü¤Ïº£¤Î½ê¸·¤·¤½¤¦¤Ç¤¹
Äà²Ì¤Ï½çÄ´¤ËÁ°¸þ¤¤ËÀ®¤Ã¤ÆÍ褿¤è¤¦¤Ë´¶¤¸¤Þ¤¹




nakamototosen at 15:55¡ÃPermalink¨¢Comments(0)¨¢
2025ǯ12·î10Æü
¤¤ç¤¦¤Ï¡¦¡¦¡¦
º£Æü¤ÏºòÆü¤«¤éÈæ¤Ù¤ë¤ÈÉ÷¤â¼å¤Þ¤Ã¤Æ³Ú¤Ë¤ä¤ì¤½¤¦¤Ê´¶¤¸¤Ç¤·¤¿¤¬»þ´Ö¤òÄɤäÆÉ÷¤¬¥¸¥ó¥ï¥ê¤È½Ð¤Æ¤¤Æ»È¤¤¤Ë¤¯¤¤°ë¤âͤä¿ÍͤǤ¹
¡¡¡¡
¥¦¥Á¤âÄà²Ì¤Ë¥Ð¥é¥Ä¥¤¬Í¤Ã¤¿¤ß¤¿¤¤¤Ç¤¹¤¬¥Þ¥º¥Þ¥º¤ÎÄà²Ì¤ò¸«¤»¤ÆÄº¤¤Þ¤·¤¿
¡¡¡¡ÌÀÆü¤â½Ð¹Ò¤·¤Þ¤¹¤¬ÌÀ¸åÆü¤¬¤É¤¦¤Ê¤ê¤Þ¤¹»ö¤ä¤é
¡¡¡¡
¥Þ¥Ã¤·¤Ã¤«¤êÅ·µ¤Í½Êó¤ò³Îǧ¤·¤ÆÌÀÆü¤Î¤ªÃë¤ËºÇ½ª·èÄꤵ¤»¤ÆÄº¤¤Þ¤¹




¥¦¥Á¤âÄà²Ì¤Ë¥Ð¥é¥Ä¥¤¬Í¤Ã¤¿¤ß¤¿¤¤¤Ç¤¹¤¬¥Þ¥º¥Þ¥º¤ÎÄà²Ì¤ò¸«¤»¤ÆÄº¤¤Þ¤·¤¿
¥Þ¥Ã¤·¤Ã¤«¤êÅ·µ¤Í½Êó¤ò³Îǧ¤·¤ÆÌÀÆü¤Î¤ªÃë¤ËºÇ½ª·èÄꤵ¤»¤ÆÄº¤¤Þ¤¹



nakamototosen at 15:27¡ÃPermalink¨¢Comments(0)¨¢
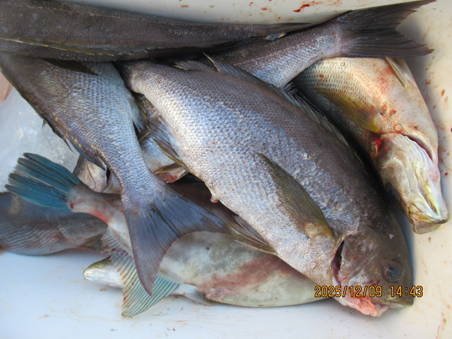
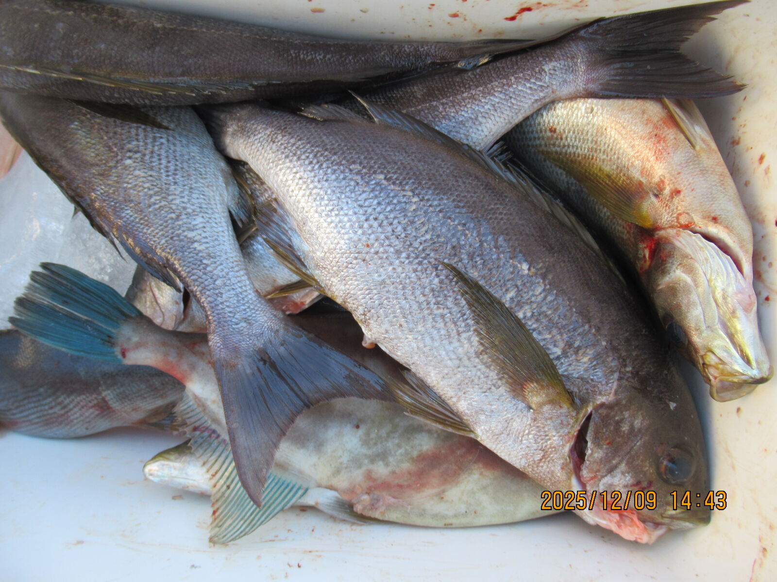
2025ǯ12·î09Æü
º£Æü¤ÎÄà²Ì¤Ç¤¹¡ª¡ª
º£Æü¤Î¥È¥Ã¥×¤Ïµ×¤·¿¶¤ê¤Î¾¾»³¡¦Éð»Ô¤µ¤ó¤ÎÎÉ·¿¥°¥ì£²Ëç»ý¤Á¤Î²èÁü¤Ç¤¹
¡¡¡¡¸«²ó¤ê¤«¤é°ëÂå¤ï¤ê¤·¤Æ¤«¤é¤ÎÎÉ·¿¥°¥ì¤Ë¥Ë¥ó¥Þ¥ê¤Ç¤·¤¿
¡¡¡¡
º£Æü¤ÏÅ·µ¤Í½Êó¤ÎͽÄê¤Ç¤Ï¤â¤¦¾¯¤·¹¥Å·¤Ç¤ä¤ì¤ëͽÁۤǤ·¤¿¤¬ËÌ´ó¤ê¤ÎÉ÷¤¬·ë¹½Í¤Ã¤Æ¸·¤·¤¤Äà¹Ô¤ËÀ®¤ê¤Þ¤·¤¿
¡¡¡¡
ÌÀÆü¡¦ÌÀ¸åÆü¤â½Ð¤è¤¦¤È¤Ï»×¤Ã¤Æµï¤Þ¤¹¤¬Å·¸õ¤Ë·Ã¤Þ¤ì¤Þ¤¹Íͤˡ¦¡¦¡¦




º£Æü¤ÏÅ·µ¤Í½Êó¤ÎͽÄê¤Ç¤Ï¤â¤¦¾¯¤·¹¥Å·¤Ç¤ä¤ì¤ëͽÁۤǤ·¤¿¤¬ËÌ´ó¤ê¤ÎÉ÷¤¬·ë¹½Í¤Ã¤Æ¸·¤·¤¤Äà¹Ô¤ËÀ®¤ê¤Þ¤·¤¿
ÌÀÆü¡¦ÌÀ¸åÆü¤â½Ð¤è¤¦¤È¤Ï»×¤Ã¤Æµï¤Þ¤¹¤¬Å·¸õ¤Ë·Ã¤Þ¤ì¤Þ¤¹Íͤˡ¦¡¦¡¦



nakamototosen at 17:38¡ÃPermalink¨¢Comments(0)¨¢
2025ǯ12·î08Æü
º£Æü¤ÎÄà²Ì¤Ç¤¹¡ª¡ª
º£Æü¤ÏÅ·µ¤Í½Êó¤¬Í¾¤êµ¹¤·¤¯Ìµ¤¯É÷¤¬¶¯¤Þ¤ëͽÊó¤ÎÃæ½Ð¹Ò¤·¤Þ¤·¤¿¤¬²¿¤È¤«Äê»þ¤Þ¤Ç¤ä¤ë¤³¤È¤¬½ÐÍè¤Þ¤·¤¿
¡¡¡¡
¥°¥ì¤â£´£µ£ã£íͤ¨¤Î¥µ¥¤¥º¤Î³Íʪ¤¬¥Ü¥Ä¥Ü¥Ä¸«¤¨¤ÆÍè½Ð¤·¤Þ¤·¤¿
¡¡¡¡¥¤¥µ¥®¤â´Ý¤ß¤òÂÓ¤Ó¤¿ÎÉ·¿¤Î³Íʪ¤¬ÌܤËÉÕ¤¤Þ¤·¤¿
¡¡¡¡
ÌÀÆü¤Ïº£Æü¤è¤ê¤âÉ÷¤¬¼£¤Þ¤ê¤½¤¦¤ÇÂç¾æÉפȻפ¤¤Þ¤¹¤¬¥Á¥ç¥Ã¥È¼ä¤·¤¤¿Í¿ô¤Ç¤Î½Ð¹Ò¤ËÀ®¤ê¤½¤¦¤Ç¤¹
¡¡¡¡¥Þ¥Ã´èÄ¥¤Ã¤Æ½Ð¹ÒÃפ·¤Þ¤¹
¡¡¡¡
¼Ì¿¿¤Î¼è¤ê¹þ¤ß¤Ë¼ºÇÔ¤·¤Æ¤¤¤ëÉôʬ¤âͤê¤Þ¤¹¤¬½¤Àµ¤¹¤ëͦµ¤¤¬Í¤ê¤Þ¤»¤ó¤Î¤Ç°¤·¤«¤é¤º¡¦¡¦¡¦





¥°¥ì¤â£´£µ£ã£íͤ¨¤Î¥µ¥¤¥º¤Î³Íʪ¤¬¥Ü¥Ä¥Ü¥Ä¸«¤¨¤ÆÍè½Ð¤·¤Þ¤·¤¿
ÌÀÆü¤Ïº£Æü¤è¤ê¤âÉ÷¤¬¼£¤Þ¤ê¤½¤¦¤ÇÂç¾æÉפȻפ¤¤Þ¤¹¤¬¥Á¥ç¥Ã¥È¼ä¤·¤¤¿Í¿ô¤Ç¤Î½Ð¹Ò¤ËÀ®¤ê¤½¤¦¤Ç¤¹
¼Ì¿¿¤Î¼è¤ê¹þ¤ß¤Ë¼ºÇÔ¤·¤Æ¤¤¤ëÉôʬ¤âͤê¤Þ¤¹¤¬½¤Àµ¤¹¤ëͦµ¤¤¬Í¤ê¤Þ¤»¤ó¤Î¤Ç°¤·¤«¤é¤º¡¦¡¦¡¦




nakamototosen at 15:30¡ÃPermalink¨¢Comments(0)¨¢
2025ǯ12·î06Æü
º£Æü¤ÎÄà²Ì¤Ç¤¹¡ª¡ª
£´Æü¿¶¤ê¤Î½Ð¹Ò¤Ç¤·¤¿
¡¡¡¡¥Þ¥º¥Þ¥º¤Î¥°¥ì¤ÎÄà²Ì¤Ë¥¤¥µ¥®¡¦¥¢¥«¥Ï¥¿Åù¤¬¤½¤ì¤Ê¤ê¤Î¥µ¥¤¥º¤Ë¿ô¤¬¸«¤¨¤Æµï¤Þ¤·¤¿
¡¡¡¡
µ¤²¹¤¬²¼¤¬¤Ã¤ÆÄ«¤Î¤¦¤Á¤Ï´¨¤µ¤¬¿È¤Ë¤·¤à¤è¤¦¤ËÀ®¤Ã¤ÆÍè¤Þ¤·¤¿
¡¡¡¡
¥¤¥ó¥Õ¥ë¥¨¥ó¥¶¤âή¹Ô¤Ã¤ÆÍè¤Æ¤¤¤Þ¤¹¤Î¤Ç³§¤µ¤óÉ÷¼Ù¤Ê¤É¾¤¤µ¤ì¤Þ¤»¤óÍͤËËÉ´¨Âкö¤Ë½¼Ê¬µ¤¤òÉÕ¤±¤Æ²¼¤µ¤¤
¡¡¡¡ÌÀÆü¤«¤é¤â¾¯¿Í¿ô¤Ç¤¹¤¬´èÄ¥¤Ã¤Æ½Ð¹Ò¤·¤Þ¤¹





µ¤²¹¤¬²¼¤¬¤Ã¤ÆÄ«¤Î¤¦¤Á¤Ï´¨¤µ¤¬¿È¤Ë¤·¤à¤è¤¦¤ËÀ®¤Ã¤ÆÍè¤Þ¤·¤¿
¥¤¥ó¥Õ¥ë¥¨¥ó¥¶¤âή¹Ô¤Ã¤ÆÍè¤Æ¤¤¤Þ¤¹¤Î¤Ç³§¤µ¤óÉ÷¼Ù¤Ê¤É¾¤¤µ¤ì¤Þ¤»¤óÍͤËËÉ´¨Âкö¤Ë½¼Ê¬µ¤¤òÉÕ¤±¤Æ²¼¤µ¤¤





nakamototosen at 15:38¡ÃPermalink¨¢Comments(0)¨¢
2025ǯ12·î03Æü
£±£²·î£²Æü¤ÎÄà²Ì¤Ç¤¹¡ª
ºòÆüÅê¹Æ¤Ë¼ºÇÔ¤·¤ÆÃÙ¤ì¤Þ¤·¤¿¤¬Ìµ»ö¼Ì¿¿Åê¹Æ¤ËÀ®¤ê¤Þ¤·¤¿
¡¡¡¡¥¸¥ó¥ï¥ê¤È¥°¥ì¤Î»Ñ¤¬¸«¤¨¤Æ¤½Ð¤·¤Þ¤·¤¿
¡¡¡¡
¿å²¹¤¬¼ã´³¾å²¼Æ°¤·¤ÆÆü¡¹¤ÎÄà²Ì¤ËÊÑÆ°¤¬Í¤ê¤Þ¤¹¤¬¥¸¥ó¥ï¥ê¤È³Ú¤·¤ß¤¬´¶¤¸¤é¤ì¤ÆÍè½Ð¤·¤Þ¤·¤¿
¡¡¡¡
¸å¤ÏÅ·¸õ¤¬Íî¤ÁÃ夤¤ÆÍè¤Æ¸â¤ì¤À¤¹¤ÈÄà¤ê»Õ¤µ¤óã¤Ë´î¤ó¤ÇÌ㤨¤½¤¦¤Ç¤¦¤Í¡Á
¡¡¡¡º£Æü¤«¤éÌÀÆü¡¦ÌÀ¸åÆü¤Þ¤ÇÅ·¸õ¤¬É԰¤Ǥ¹¤¬½µËö¤ÎÅÚÆü¤ÏËôÄà¹Ô½ÐÍ褽¤¦¤Ç¤¹
¡¡¡¡
º£Ç¯¤ÏÅ·µ¤Í½Ê󤬼㴳ÊÑÆ°¤¬·ã¤·¤¯¿®ÍѤ¬½ÐÍè¤Þ¤»¤ó¤¬£±¡Á£²Æü°Ì¤Î¥µ¥¤¥¯¥ë¤Ê¤éÂç¾æÉפ½¤¦¤Ê¤Î¤Ç¥·¥Ã¥«¥ê³Îǧ¤·¤Ê¤¬¤éÄà¹Ô·×²è¤ò¤·¤Æ²¼¤µ¤¤
¡¡º£¸å¤ÎÄà²Ì¤Ë´üÂÔ¤·¤Þ¤¹






¿å²¹¤¬¼ã´³¾å²¼Æ°¤·¤ÆÆü¡¹¤ÎÄà²Ì¤ËÊÑÆ°¤¬Í¤ê¤Þ¤¹¤¬¥¸¥ó¥ï¥ê¤È³Ú¤·¤ß¤¬´¶¤¸¤é¤ì¤ÆÍè½Ð¤·¤Þ¤·¤¿
¸å¤ÏÅ·¸õ¤¬Íî¤ÁÃ夤¤ÆÍè¤Æ¸â¤ì¤À¤¹¤ÈÄà¤ê»Õ¤µ¤óã¤Ë´î¤ó¤ÇÌ㤨¤½¤¦¤Ç¤¦¤Í¡Á
º£Ç¯¤ÏÅ·µ¤Í½Ê󤬼㴳ÊÑÆ°¤¬·ã¤·¤¯¿®ÍѤ¬½ÐÍè¤Þ¤»¤ó¤¬£±¡Á£²Æü°Ì¤Î¥µ¥¤¥¯¥ë¤Ê¤éÂç¾æÉפ½¤¦¤Ê¤Î¤Ç¥·¥Ã¥«¥ê³Îǧ¤·¤Ê¤¬¤éÄà¹Ô·×²è¤ò¤·¤Æ²¼¤µ¤¤





nakamototosen at 09:16¡ÃPermalink¨¢Comments(0)¨¢
2025ǯ11·î30Æü
º£Æü¤ÎÄà²Ì¤Ç¤¹¡ª
º£Æü¤ÎÄà²Ì¤Ç¤¹
¡¡¡¡¥°¥ì¤Ï¥Á¥ç¥Ã¥È¸«¤é¤·¤¤¥µ¥¤¥º¤¬¸«¤¨¤Þ¤·¤¿¤¬Á´ÂΤ˥Á¥ç¥Ã¥È¾®¿¶¤ê¤Ç¤·¤¿
¡¡¡¡¥ë¥¢¡¼¥Þ¥ó¤Î³Íʪ¤â¥Á¥ç¥Ã¥È¾®¿¶¤ê¤Ç¤·¤¿
¡¡¡¡
ÌÀÆü¤Ë´üÂÔ¤·¤Þ¤·¤ç¤¦



ÌÀÆü¤Ë´üÂÔ¤·¤Þ¤·¤ç¤¦


nakamototosen at 14:57¡ÃPermalink¨¢Comments(0)¨¢
2025ǯ11·î29Æü
º£Æü¤ÎÄà²Ì¤Ç¤¹¡ª¡ª





º£Æü¤ÎÄà²ÌÊó¹ð¤Ç¤¹
£µ£°cm¤Ë¥Á¥ç¥Ã¥ÈÆÏ¤¤Þ¤»¤ó¤Ç¤·¤¿¤¬åºÎï¤Ê¥°¥ì¤ÎÊó¹ð¤ËÀ®¤ê¤Þ¤·¤¿
»ÕÁö¤¬¤½¤³¤Þ¤Ç¶á¤Å¤¤¤ÆÍè¤Þ¤·¤¿¤Î¤Çº£¸å¤ÎÄà²Ì¤â½¼Ê¬¤Ë´üÂԤǤ¤½¤¦¤Ç¤¹
nakamototosen at 16:07¡ÃPermalink¨¢Comments(0)¨¢
2025ǯ11·î27Æü
º£Æü¤ÎÄà²Ì¤Ç¤¹¡ª¡ª
º£Æü¤ÎÄà²Ì¤Ç¤¹
¡¡¡¡¥¢¥¤¤Î¤ª¤Ã¤Á¤ã¤ó¤È»Ð¸æ¤ÎÎÉ·¿¥°¥ì¤Î¼Ì¿¿¤È¾¤ÎÄà¤ê»Õ¤µ¤ó¤ÎÄà²Ì¤Ç¤¹
¡¡¡¡
¤ªÃë¤ò¶¤Ë³¤¶·¤¬¤Ë¤ï¤«¤ËÊѤï¤êÁá¤á¤Îµ¢¹Á¤ËÀ®¤ê¤Þ¤·¤¿¤¬¥Þ¥º¥Þ¥º¤Î¥µ¥¤¥º¤Î¥°¥ì¤ò¸«¤»¤ÆÄº¤¤Þ¤·¤¿
¡¡¡¡
¼Ì¿¿¤Î¼è¤ê¹þ¤ß¤¬¥Á¥ç¥Ã¥ÈÉôÉʤηç´Ù¤Ë°Í¤ê¾å¼ê¤¯¹Ô¤«¤Ê¤ó¤À¤ß¤¿¤¤¤Ç¤¹¤¬ÌÀÆüÉôÉʸò´¹¤Ë¹Ô¤Ã¤Æ¤¤Þ¤¹
¡¡¡¡º£¸å¤ÏÀµ¾ï¤ËÀ®¤ë¤³¤È¤ò´üÂÔ¤·¤Þ¤·¤ç¤¦



¤ªÃë¤ò¶¤Ë³¤¶·¤¬¤Ë¤ï¤«¤ËÊѤï¤êÁá¤á¤Îµ¢¹Á¤ËÀ®¤ê¤Þ¤·¤¿¤¬¥Þ¥º¥Þ¥º¤Î¥µ¥¤¥º¤Î¥°¥ì¤ò¸«¤»¤ÆÄº¤¤Þ¤·¤¿
¼Ì¿¿¤Î¼è¤ê¹þ¤ß¤¬¥Á¥ç¥Ã¥ÈÉôÉʤηç´Ù¤Ë°Í¤ê¾å¼ê¤¯¹Ô¤«¤Ê¤ó¤À¤ß¤¿¤¤¤Ç¤¹¤¬ÌÀÆüÉôÉʸò´¹¤Ë¹Ô¤Ã¤Æ¤¤Þ¤¹


nakamototosen at 17:16¡ÃPermalink¨¢Comments(0)¨¢
2025ǯ11·î24Æü
º£Æü¤ÎÄà²Ì¤Ç¤¹¡ª¡ª
º£Æü¤ÎÄà²Ì¤Ç¤¹¤¬¥°¥ì¤â¥Þ¥º¥Þ¥º¤Î¿ô¤È¥µ¥¤¥º¤Î³Íʪ¤¬¸«¤¨¤Æµï¤Þ¤·¤¿
¡¡¡¡¥¤¥µ¥®¤â´Ý¤ß¤¬Í¤ê¥µ¥¤¥º¤âÎɤ«¤Ã¤¿¤È»×¤¤¤Þ¤¹
¡¡¡¡
Å·¸õ¤µ¤¨Îɤ±¤ì¤Ð³Ú¤·¤á¤½¤¦¤Ç¤¹¤¬º£½µ¤Ï¥Á¥ç¥Ã¥ÈÅ·µ¤¤¬¿´ÇۤǤ¹¤Í¡Á

ËÜÁ¥¤ÏÌÀÆü¡¦ÌÀ¸åÆü¤È¤âͽÌó¤¬Ìµ¤¯µÙ¤ß¤ËÀ®¤ê¤½¤¦¤Ç¤¹
¡¡¡¡Å·µ¤Í½Êó¤ò¤·¤Ã¤«¤ê³Îǧ¤·¤Þ¤·¤ç¤¦





Å·¸õ¤µ¤¨Îɤ±¤ì¤Ð³Ú¤·¤á¤½¤¦¤Ç¤¹¤¬º£½µ¤Ï¥Á¥ç¥Ã¥ÈÅ·µ¤¤¬¿´ÇۤǤ¹¤Í¡Á
ËÜÁ¥¤ÏÌÀÆü¡¦ÌÀ¸åÆü¤È¤âͽÌó¤¬Ìµ¤¯µÙ¤ß¤ËÀ®¤ê¤½¤¦¤Ç¤¹




nakamototosen at 15:21¡ÃPermalink¨¢Comments(0)¨¢
2025ǯ11·î23Æü
º£Æü¤ÎÄà²Ì¤Ç¤¹¡ª¡ª
µ»öÅê¹Æ¤¬¥Á¥ç¥Ã¥ÈÃÙ¤¯¤Ê¤ê¤Þ¤·¤¿¤¬º£Æü¤Ï¹¥Å·¤Ë·Ã¤Þ¤ìÄà²Ì¤ÎÊý¤âÈàÊýº¡Êý¤Ç¥Þ¥º¥Þ¥º¤Î·¿¤Î¥°¥ì¤Ë¥¤¥µ¥®¡¦Â¾¤Î³Íʪ¤¬»Ñ¤ò¸«¤»¤Æ¸â¤ì¤Þ¤·¤¿
¡¡¡¡
Äà²Ì¼Ì¿¿¤¬Æø¤ï¤¦¤Î¤ÏͤêÆñ¤¤»ö¤Ç¤¹¤Í¡Á
¡¡¡¡ÌÀÆü¤âÀ¼¤ò³Ý¤±¤ÆÌã¤Ã¤Æµï¤Þ¤¹¤Î¤Ç´èÄ¥¤Ã¤Æ½Ð¹Ò¤·¤Þ¤¹
¡¡¡¡³§¤µ¤ó¤Î·òÆ®¤òµ§¤ê¤Þ¤¹








Äà²Ì¼Ì¿¿¤¬Æø¤ï¤¦¤Î¤ÏͤêÆñ¤¤»ö¤Ç¤¹¤Í¡Á







nakamototosen at 16:24¡ÃPermalink¨¢Comments(0)¨¢
2025ǯ11·î22Æü
º£Æü¤ÎÄà²Ì¤Ç¤¹¡ª¡ª
º£Æü¤ÎÄà²Ì¤Ç¤¹
¡¡¡¡£´£°cmµé¸åȾ¤Î³Íʪ¤â¥Ü¥Ä¥Ü¥Ä»Ñ¤ò¸«¤»¤Æ¸â¤ì¤À¤·¤Þ¤·¤¿
¡¡¡¡¸å¤ÏÅ·¸õ¤Ë·Ã¤Þ¤ì¤Æ¤¯¤ì¤µ¤¨¤¹¤ì¤Ð¡¦¡¦¡¦
¡¡¡¡ÌÀÆü¡¦ÌÀ¸åÆü½Ð¹ÒͽÄê¤Ç¤¹







nakamototosen at 15:19¡ÃPermalink¨¢Comments(0)¨¢
2025ǯ11·î20Æü
º£Æü¤ÎÄà²Ì¤Ç¤¹
º£Æü¤Î¥È¥Ã¥×¤Ï¾¾»³¡¦ÃæÌ¤ó¤Î£´£¹£ã£í¥°¥ì¡¦Â¾¤Î³Íʪ¤Ç¤¹
¡¡¡¡¥¸¥ó¥ï¥ê¤ÈÈàÊýº¡Êý¤Ç¥°¥ì¤¬»Ñ¤ò¸«¤»¤Æ¸â¤ì¤À¤·¤Þ¤·¤¿
¡¡¡¡¿å²¹¤¬£²£±ÅÙÂæ¤ò»Ø¤·¤Æµï¤Þ¤·¤¿
¡¡¡¡
¥ë¥¢¡¼¤Ç¥ä¥º¤Ë¥¢¥«¥Ï¥¿Åùº¬µû¤¬Äà¤ì¤Æµï¤Þ¤·¤¿
¡¡¡¡¥¸¥ó¥ï¥ê¤È³Íʪ¤¬¸«¤¨¤Æ¤½Ð¤·¤Þ¤·¤¿¤Î¤Ç¥³¥ì¤«¤é¤ÎÄà²Ì¤¬³Ú¤·¤ß¤ËÀ®¤Ã¤ÆÍè¤Þ¤·¤¿
¡¡¡¡
Å·¸õ¤µ¤¨Îɤ±¤ì¤ÐÌÀÆü°Ê¹ß¤â½Ð¹ÒÃפ·¤Þ¤¹





¥ë¥¢¡¼¤Ç¥ä¥º¤Ë¥¢¥«¥Ï¥¿Åùº¬µû¤¬Äà¤ì¤Æµï¤Þ¤·¤¿
Å·¸õ¤µ¤¨Îɤ±¤ì¤ÐÌÀÆü°Ê¹ß¤â½Ð¹ÒÃפ·¤Þ¤¹




nakamototosen at 15:10¡ÃPermalink¨¢Comments(0)¨¢
2025ǯ11·î15Æü
º£Æü¤ÎÄà²Ì¤Ç¤¹¡ª¡ª
º£Æü¤Ï¥Á¥ç¥Ã¥È»äÍѤÇÅê¹Æ¤¬ÃÙ¤¯À®¤ê¤Þ¤·¤¿
¡¡¡¡¥¸¥ó¥ï¥ê¤È¥°¥ì¤¬º®¤¸¤Ã¤Æ»Ñ¤ò¸«¤»¤Æ¸â¤ì¤Æµï¤Þ¤·¤¿¡¡
¡¡
¥¤¥µ¥®¤Ï¥½¥³¥½¥³´Ý¤ß¤¬Í¤ëÎɤ¤·¿¤Î³Íʪ¤¬¸«¤¨¤Æµï¤Þ¤·¤¿
¡¡¡¡ÌÀÆü¤Ï¥Á¥ã¡¼¥¿¡¼Á¥¤Î°Ù°ìÈ̤ÎÄà¤ê»Õ¤µ¤óã¤Ë¤´ÌÂÏǤò¤ª³Ý¤±Ãפ·¤Þ¤¹¤¬µ¹¤·¤¯¤´Íý²ò¤ÎÄø¤ò¡¦¡¦¡¦




¥¤¥µ¥®¤Ï¥½¥³¥½¥³´Ý¤ß¤¬Í¤ëÎɤ¤·¿¤Î³Íʪ¤¬¸«¤¨¤Æµï¤Þ¤·¤¿



nakamototosen at 16:53¡ÃPermalink¨¢Comments(0)¨¢
2025ǯ06·î17Æü
º£Æü¤ÎÄà²Ì¤Ç¤¹¡ª¡ª
º£Ä«¤ÎÅ·µ¤Í½Êó¤Ç¤Ï£²£í¤«¤é£±£íͽÁۤǤ·¤¿¤Î¤ÇÂç¾æÉפÀ¤í¤¦¤È¥¿¥«¤ò³ç¤Ã¤ÆÄà¹Ô¤·¤Þ¤·¤¿¤¬µ¢¤ê¤ËÀ®¤ë¤Þ¤Ç²¿¤È¤â¸À¤¨¤Ê¤¤°ëÇȤ¬ÉÕ¤¤¤Æµï¤Þ¤·¤¿
¡¡¡¡
¤½¤ÎÃæ¤Ç45cmµé¤Î¥°¥ì¤òÄà¤ê¾å¤²¤Æ¸â¤ì¤¿Äà¤ê»Õ¤µ¤ó¤Ë´¶¼Õ¡¦´¶¼Õ¤Ç¤¹
¡¡¡¡Á´ÂΤˤϥÁ¥ç¥Ã¥È¾¯¤Ê¤á¤Ç¤·¤¿¤¬¾ì½ê¤Ë°Í¤Ã¤Æ¤³¤Î³Íʪ¤Ï¤ª¸«»ö¡¦¤ª¸«»ö¤Ç¤·¤¿


¾¤Î¾ì½ê¤Ç¤Ï¥Á¥ç¥Ã¥È¾¯¤Ê¤«¤Ã¤¿¤Ç¤¹¤Í¡Á
¡¡¡¡³¤¶·¤Î¤¢¤Þ¤êÎɤ¯¤Ê¤¤Ã椪Èè¤ìÍͤǤ·¤¿


¤½¤ÎÃæ¤Ç45cmµé¤Î¥°¥ì¤òÄà¤ê¾å¤²¤Æ¸â¤ì¤¿Äà¤ê»Õ¤µ¤ó¤Ë´¶¼Õ¡¦´¶¼Õ¤Ç¤¹

¾¤Î¾ì½ê¤Ç¤Ï¥Á¥ç¥Ã¥È¾¯¤Ê¤«¤Ã¤¿¤Ç¤¹¤Í¡Á

nakamototosen at 15:02¡ÃPermalink¨¢Comments(0)¨¢
2025ǯ06·î15Æü
¤¤ç¤¦¤Ï¡¦¡¦¡¦
º£Æü¤ÏÂç½§¡¦ÇÆÆ»²ñ¤Î¥á¥ó¥Ð¡¼¤Ç¤Î¥°¥ì£²É¤Ä¹À£¤ÎÂç²ñ¤ò¤ä¤Ã¤ÆÄº¤¤Þ¤·¤¿
¡¡¡¡
º£Ä«¤Î£³»þȾÁ°¤ÎÆî³¤ÊüÁ÷¤ÎÅ·µ¤Í½Êó¤ËÇȤι⤵¡¦ÅÚº´²¤¬£´£í¡¦µÜºê²¤¬3M¤Îɽ¼¨¤¬¤µ¤ì¤Æ²¿¤ò¸À¤¤´ó¤ë¤ó¤É¤³¤ó¤Ê¤ËÉ÷¤â̵¤¯ÀŤ«¤Ê¤Î¤Ë¡¦¡¦¡¦¤È»×¤¤¤Ê¤¬¤é½Ð¹Ò¤·¤Æ¤ß¤Þ¤·¤¿¤¬ÃÝ¡¦1ÈÖ¤È3ÈÖ¤ò»È¤Ã¤Æ¤âÎɤ¤¤è¤È¸À¤Ã¤ÆÌã¤Ã¤Æ°ë¤ò¸«¤Æ¤¦¤Í¤êÇȤÎÀ¨¤µ¤Ë»ÈÍѤò¤ä¤á¤Æ°ìÏ©¸æ¸Þ¿À¤òÌܻؤ·¤Æ2ÀɤÇÁö¤ê¤Þ¤·¤¿
¡¡¡¡
¸½¾ì¤Ï¤ä¤Ï¤êÇò¤¤ÇȤ¬ÂǤÁ´ó¤»¤Æ¥Ò¥Ç¤µ¤ó¤Ë¹Ô¤Ã¤Æ¤ß¤ë¤â»ÈÍѤ¬¸·¤·¤¯Î½Á¥¤ËÇȻ߾ì¤ò»È¤ï¤»¤ÆÌ㤤¤Ê¤¬¤é¾¤Î¤ä¤ì¤ë½ê¤ÇÄà¹Ô¤·¤ÆÌ㤤¤Þ¤·¤¿
¡¡¡¡
¤É¤¦¤Ë¤«»ö¸Î¤â̵¤¯Äê»þ¤Þ¤Ç¤ä¤Ã¤Æµ¢¤Ã¤Æ¤¤Æ¸¡À£¤ò¤¹¤ë¤ÈÎÉ·¿¤Î¥°¥ì¤Ë¥Ó¥Ã¥¯¥ê¤·¤Æ³§¤¬¶Ã¤¤ÎÀ¼¤ò¾å¤²¤Þ¤·¤¿
¡¡¡¡¥°¥ì¤Î¥µ¥¤¥º¤â¥¤¥µ¥®¤Î¥µ¥¤¥º¤â¸«»ö¤Ê³Íʪ¤Ç¤·¤¿
¡¡¡¡
ÌܤÎÊÝÍܤò¤µ¤»¤ÆÄº¤ÍÆñ¤¦¸æºÂ¤¤¤Þ¤·¤¿


ÇȤμ̿¿¤Ï¸«²ó¤ê»þ¤Ë¥·¥ã¥Ã¥¿¡¼¤ò²¡¤·¤¿¤Î¤Ç¤¹¤¬¾å¼ê¤¯»£¤ì¤Æ¤Ï̵¤¤¤Ç¤¹¤¬¤«¤Ê¤ê¤Î¤¦¤Í¤êÇȤǤ·¤¿
¡¡¡¡ÌÀÆü¤â¤³¤Î¤Þ¤Þ¤Ê¤Î¤«¤Ê¡Á




º£Ä«¤Î£³»þȾÁ°¤ÎÆî³¤ÊüÁ÷¤ÎÅ·µ¤Í½Êó¤ËÇȤι⤵¡¦ÅÚº´²¤¬£´£í¡¦µÜºê²¤¬3M¤Îɽ¼¨¤¬¤µ¤ì¤Æ²¿¤ò¸À¤¤´ó¤ë¤ó¤É¤³¤ó¤Ê¤ËÉ÷¤â̵¤¯ÀŤ«¤Ê¤Î¤Ë¡¦¡¦¡¦¤È»×¤¤¤Ê¤¬¤é½Ð¹Ò¤·¤Æ¤ß¤Þ¤·¤¿¤¬ÃÝ¡¦1ÈÖ¤È3ÈÖ¤ò»È¤Ã¤Æ¤âÎɤ¤¤è¤È¸À¤Ã¤ÆÌã¤Ã¤Æ°ë¤ò¸«¤Æ¤¦¤Í¤êÇȤÎÀ¨¤µ¤Ë»ÈÍѤò¤ä¤á¤Æ°ìÏ©¸æ¸Þ¿À¤òÌܻؤ·¤Æ2ÀɤÇÁö¤ê¤Þ¤·¤¿
¸½¾ì¤Ï¤ä¤Ï¤êÇò¤¤ÇȤ¬ÂǤÁ´ó¤»¤Æ¥Ò¥Ç¤µ¤ó¤Ë¹Ô¤Ã¤Æ¤ß¤ë¤â»ÈÍѤ¬¸·¤·¤¯Î½Á¥¤ËÇȻ߾ì¤ò»È¤ï¤»¤ÆÌ㤤¤Ê¤¬¤é¾¤Î¤ä¤ì¤ë½ê¤ÇÄà¹Ô¤·¤ÆÌ㤤¤Þ¤·¤¿
¤É¤¦¤Ë¤«»ö¸Î¤â̵¤¯Äê»þ¤Þ¤Ç¤ä¤Ã¤Æµ¢¤Ã¤Æ¤¤Æ¸¡À£¤ò¤¹¤ë¤ÈÎÉ·¿¤Î¥°¥ì¤Ë¥Ó¥Ã¥¯¥ê¤·¤Æ³§¤¬¶Ã¤¤ÎÀ¼¤ò¾å¤²¤Þ¤·¤¿
ÌܤÎÊÝÍܤò¤µ¤»¤ÆÄº¤ÍÆñ¤¦¸æºÂ¤¤¤Þ¤·¤¿

ÇȤμ̿¿¤Ï¸«²ó¤ê»þ¤Ë¥·¥ã¥Ã¥¿¡¼¤ò²¡¤·¤¿¤Î¤Ç¤¹¤¬¾å¼ê¤¯»£¤ì¤Æ¤Ï̵¤¤¤Ç¤¹¤¬¤«¤Ê¤ê¤Î¤¦¤Í¤êÇȤǤ·¤¿



nakamototosen at 14:59¡ÃPermalink¨¢Comments(0)¨¢
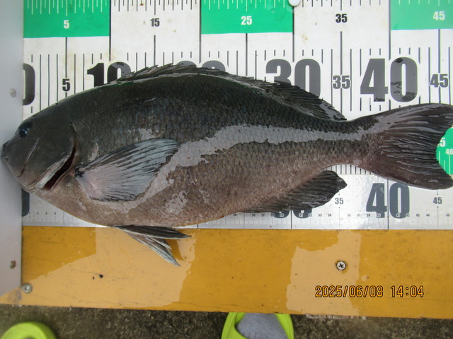
2025ǯ06·î08Æü
º£Æü¤ÎÄà²Ì¤Ç¤¹¡ª¡ª
º£Æü¤ÎÄà²ÌÊó¹ð¤Ç¤¹
¡¡¡¡¥È¥Ã¥×¤Ï£´£·cm¤ÎÎÉ·¿¥°¥ì¤òɮƬ¤Ë¥Þ¥º¥Þ¥º¤Î¥°¥ì¤ÎÄà²Ì¤Ë¥¤¥µ¥®¤â£´£°cmµé¤ÎÎɤ¤·¿¤Î³Íʪ¤¬º®¤¸¤Ã¤Æµï¤Þ¤·¤¿
¡¡¡¡
¥Á¥ç¥Ã¥È¤·¤¿¥µ¥¤¥º¤Î¥Ð¥é¥Ä¥¤Ïͤê¤Þ¤·¤¿¤¬¥½¥³¥½¥³³Íʪ¤¬¸«¤¨¤Æ´î¤ó¤Çĺ¤¤Þ¤·¤¿
¡¡¡¡º£¸å¤Ë´üÂԤλý¤Æ¤ëÄà²Ì¤òÍÆñ¤¦¸æºÂ¤¤¤Þ¤·¤¿
¡¡¡¡
ÌÀÆü¤ÎͽÌó¤ò夤¤Æµï¤¿Äà¤ê»Õ¤µ¤ó¤«¤éÅ·¸õÉÔÎɤÎͽÁۤʤΤǺ£²ó¥¥ã¥ó¥»¥ë¤ÎÏ¢Íí¤¬Í¤ê¤Þ¤·¤¿¤Î¤ÇÌÀÆü¤ÏµÙ¤ß¤ËÀ®¤ê¤½¤¦¤Ç¤¹
¡¡¡¡º£¸å¤ÎͽÊó¤Ëµ¤¤òÉÕ¤±¤Æ¤ä¤ê¤Þ¤·¤ç¤¦








¥Á¥ç¥Ã¥È¤·¤¿¥µ¥¤¥º¤Î¥Ð¥é¥Ä¥¤Ïͤê¤Þ¤·¤¿¤¬¥½¥³¥½¥³³Íʪ¤¬¸«¤¨¤Æ´î¤ó¤Çĺ¤¤Þ¤·¤¿
ÌÀÆü¤ÎͽÌó¤ò夤¤Æµï¤¿Äà¤ê»Õ¤µ¤ó¤«¤éÅ·¸õÉÔÎɤÎͽÁۤʤΤǺ£²ó¥¥ã¥ó¥»¥ë¤ÎÏ¢Íí¤¬Í¤ê¤Þ¤·¤¿¤Î¤ÇÌÀÆü¤ÏµÙ¤ß¤ËÀ®¤ê¤½¤¦¤Ç¤¹







nakamototosen at 14:51¡ÃPermalink¨¢Comments(0)¨¢
2025ǯ05·î18Æü
º£Æü¤ÎÄà²Ì¤Ç¤¹
¹âÃΡ¦Çò°æ¤µ¤ó¤ÎÄà²Ì¤Ç¤¹
¡¡¡¡¸«»ö¤Ê¥°¥ì¤È¥¤¥µ¥®¤Î¹¥Äà²Ì¤Ç¤·¤¿
¡¡¡¡º£Ç¯¤ËÀ®¤Ã¤Æ¸«»ö¤ÊÄà²Ì¤ËƱ¹Ô¼Ô¤â³§¤µ¤ó¶Ã¤¤¤Æµï¤Þ¤·¤¿
¡¡¡¡ËÜÁ¥¤Ç¤âµ×¤·¿¶¤ê¤ÎÂçµù¡¦Âçµù¤Ç¤·¤¿


¤â¤¦°ì¿Í¤ÎƱ¹Ô¼Ô¤ÎµÜ²¼¤µ¤ó¤ÎÄà²Ì¤â¤ª¸«»ö¤Ç¤·¤¿
¡¡¡¡Ä«¤Î¥¦¥Á¾¯¡¹¤Î¤¦¤Í¤êÇȤËÍÑ¿´¤·¤Ê¤¬¤é¤Î°ë¾å¤¬¤ê¤Ç¤·¤¿¤¬¸«»ö¤Ê³Íʪ¥²¥Ã¥ÈÍÆñ¤¦¸æºÂ¤¤¤Þ¤·¤¿


¥ë¥¢¡¼¤ÇÄà¤Ã¤¿º¬µû¤â¥Þ¥º¥Þ¥º¤Ç¤·¤¿
¡¡¡¡º£Æü¤Ï¥°¥ì¡¦¥¤¥µ¥®¤ÎÄà²Ì¤¬¸«»ö¤Ç¤·¤¿
¡¡¡¡ÍÆñ¤¦¸æºÂ¤¤¤Þ¤·¤¿



¤â¤¦°ì¿Í¤ÎƱ¹Ô¼Ô¤ÎµÜ²¼¤µ¤ó¤ÎÄà²Ì¤â¤ª¸«»ö¤Ç¤·¤¿

¥ë¥¢¡¼¤ÇÄà¤Ã¤¿º¬µû¤â¥Þ¥º¥Þ¥º¤Ç¤·¤¿

nakamototosen at 14:45¡ÃPermalink¨¢Comments(0)¨¢
2025ǯ04·î22Æü
¤¤ç¤¦¤Ï¡¦¡¦¡¦ÆÁÅ硦»Ô¸¶¤µ¤ó¾¤ÎÄà²Ì¤Ç¤¹
º£Æü¤ÏÅ·µ¤Í½Ê󤬥Á¥ç¥Ã¥È¿´ÇÛ¤ÎÃæ¤ä¤ì¤ë½ê¤Ç¤ä¤ì¤ë´Ö¤ÇÎɤ¤¤è¤È¸À¤Ã¤ÆÌã¤Ã¤¿Äà¤ê»Õ¤µ¤ó¤È°ìÏ©²¤Ø¡¦¡¦¡¦
¡¡¡¡
²¿»þ¤«¤ÏÇȤÈÉ÷¤¬ÉÕ¤¤¤ÆÍè¤ë¤È»×¤¤¤Ê¤¬¤é·Ù²ü¤·¤Ê¤¬¤é¤ÎÄà¹Ô¤Ç¤·¤¿¤¬Ìµ»ö¤Ë»þ´ÖËø¤ä¤ì¤Æ¹Á¤ËÃ夤¤ÆÄà¤ê»Õ¤µ¤ó¤Î¥¯¡¼¥é¡¼¤ò³«¤±¤Æ¥Ó¥Ã¥¯¥ê¶Ì¼êÈ¢¾õÂ֤˴¶¼Õ¡¦´¶¼Õ¤Ç¤·¤¿
¡¡¡¡
£µ£°£ã£í¤ÎÎÉ·¿ÈøÄ¹¥°¥ì¤¬£²Ëç¤Ë¥¤¥µ¥®¤â£´£°£ã£íͤ¨¤Î´Ý¤ß¤ÎͤëÎÉ·¿Â¾¾¯¡¹¤ÎËç¿ô¤Ë¿¿Â亮¤¸¤ê¤ÇºÇ¶á¤Ç¤Ï̵¤«¤Ã¤¿Âçµù¡¦Âçµù¤ÎÄà²Ì¤Ç¤·¤¿
¡¡¡¡Äà¤ê»Õ¤µ¤ó¤ª¤Ä¤«¤ìÍͤǤ·¤¿¤½¤·¤ÆÍÆñ¤¦¸æºÂ¤¤¤Þ¤·¤¿


²¿»þ¤«¤ÏÇȤÈÉ÷¤¬ÉÕ¤¤¤ÆÍè¤ë¤È»×¤¤¤Ê¤¬¤é·Ù²ü¤·¤Ê¤¬¤é¤ÎÄà¹Ô¤Ç¤·¤¿¤¬Ìµ»ö¤Ë»þ´ÖËø¤ä¤ì¤Æ¹Á¤ËÃ夤¤ÆÄà¤ê»Õ¤µ¤ó¤Î¥¯¡¼¥é¡¼¤ò³«¤±¤Æ¥Ó¥Ã¥¯¥ê¶Ì¼êÈ¢¾õÂ֤˴¶¼Õ¡¦´¶¼Õ¤Ç¤·¤¿
£µ£°£ã£í¤ÎÎÉ·¿ÈøÄ¹¥°¥ì¤¬£²Ëç¤Ë¥¤¥µ¥®¤â£´£°£ã£íͤ¨¤Î´Ý¤ß¤ÎͤëÎÉ·¿Â¾¾¯¡¹¤ÎËç¿ô¤Ë¿¿Â亮¤¸¤ê¤ÇºÇ¶á¤Ç¤Ï̵¤«¤Ã¤¿Âçµù¡¦Âçµù¤ÎÄà²Ì¤Ç¤·¤¿

nakamototosen at 14:52¡ÃPermalink¨¢Comments(0)¨¢
2025ǯ03·î23Æü
¤¤ç¤¦¤Ï¡¦¡¦¡¦
º£Æü¤Ï¥Þ¥¿¥Þ¥¿M¤µ¤ó¤¬µù¾ìÄ´ºº¤Ë´ó¤Ã¤Æ¸â¤ì¤Þ¤·¤¿
¡¡¡¡Æ±¹Ô¤·¤¿³§¤µ¤ó¤â¥°¥ì¤ÎÄà²Ì¤Ë¥µ¥¹¥¬¡¦¥µ¥¹¥¬¤Î¸ÀÍդǤ·¤¿
¡¡¡¡
Á¥Æ¬º£Æü¤Ï¥«¥á¥é¤Î¥Ð¥Ã¥Æ¥ê¡¼¤¬Ìµ¤¯¼Ì¿¿¤Î»£±Æ¤¬½ÐÍè¤Ê¤¯¤Æ³¤¶·¤Î¼Ì¿¿¤â»£¤ì¤ºÂ¾¤ÎÊý¡¹¤ÎÄà²Ì¼Ì¿¿¤â»£¤ì¤º¿½¤·Ìõ¤Ê¤¤µ»öÅê¹Æ¤ËÀ®¤ê¤Þ¤·¤¿
¡¡¡¡
ÌÀÆü¡¦ÌÀ¸åÆü¤Ï½Õ¤ÎÄê´ü¥É¥Ã¥¯¤Î°Ù·ç¹Ò¤·¤Þ¤¹¤¬¿åÍËÆü¤«¤é¤ÏËôµ¹¤·¤¯¤ª´ê¤¤¤¤¤¿¤·¤Þ¤¹



Á¥Æ¬º£Æü¤Ï¥«¥á¥é¤Î¥Ð¥Ã¥Æ¥ê¡¼¤¬Ìµ¤¯¼Ì¿¿¤Î»£±Æ¤¬½ÐÍè¤Ê¤¯¤Æ³¤¶·¤Î¼Ì¿¿¤â»£¤ì¤ºÂ¾¤ÎÊý¡¹¤ÎÄà²Ì¼Ì¿¿¤â»£¤ì¤º¿½¤·Ìõ¤Ê¤¤µ»öÅê¹Æ¤ËÀ®¤ê¤Þ¤·¤¿
ÌÀÆü¡¦ÌÀ¸åÆü¤Ï½Õ¤ÎÄê´ü¥É¥Ã¥¯¤Î°Ù·ç¹Ò¤·¤Þ¤¹¤¬¿åÍËÆü¤«¤é¤ÏËôµ¹¤·¤¯¤ª´ê¤¤¤¤¤¿¤·¤Þ¤¹


nakamototosen at 15:21¡ÃPermalink¨¢Comments(0)¨¢




































































