¥°¥ì¾ðÊó
2026ǯ01·î19Æü
¤¤ç¤¦¤Ï¡¦¡¦¡¦
º£Æü¤Î¥È¥Ã¥×¤Ï´é½Ð¤·NG¤Î£µ£°£ã£í¥°¥ì¤Î³Íʪ¤Ç¤¹
¡¡¡¡´Ý¤ß¤òÂÓ¤Ó¤¿Îɤ¤¥°¥ì¤Ç¤·¤¿
¡¡¡¡¥¤¥µ¥®¤âÎÉ·¿º®¤¸¤ê¤ÇÎɤ¤¥µ¥¤¥º¤Î³Íʪ¤Ç¤·¤¿
¡¡¡¡
ÌÀÆü¤«¤é¤Ï¥Á¥ç¥Ã¥ÈÅ·µ¤Í½Ê󰤯µÙ¤ß¤ËÀ®¤ê¤½¤¦¤Ç¤¹
¡¡¡¡Æü¡¹³Îǧ¤·¤Ê¤¬¤é¼¡¤Ë½Ð¹Ò½ÐÍè¤ëÆü¤òÂԤäƤ¤¤Þ¤¹



ÌÀÆü¤«¤é¤Ï¥Á¥ç¥Ã¥ÈÅ·µ¤Í½Ê󰤯µÙ¤ß¤ËÀ®¤ê¤½¤¦¤Ç¤¹


nakamototosen at 15:31¡ÃPermalink¨¢Comments(0)¨¢
2026ǯ01·î18Æü
¤¤ç¤¦¤Ï¡¦¡¦¡¦
º£Æü¤Ï¹âÃΡ¦¤á¤¤¤Á¤ç¤¦¤Î³§¤µ¤ó¤Î¥¯¥é¥ÖÂç²ñ¤ò¤ä¤Ã¤ÆÄº¤¤Þ¤·¤¿
¡¡¡¡¿´ÇÛ¤·¤Æ¤¤¤¿Å·¸õ¤âÆüº¢¤Î¹Ô¤¤¤ÎÎɤµ¤Î¤»¤¤¤«¹¥Å·¤Ë·Ã¤Þ¤ì¤Æ²º¤ä¤«¤Ê³¤¶·¤Ç̵»ö¤ä¤ì¤Þ¤·¤¿
¡¡¡¡
Äà²Ì¤ÎÊý¤â¥½¥³¥½¥³¤ÎÀ®²Ì¤ò¸«¤»¤ÆÄº¤ÍÆñ¤¦¸æºÂ¤¤¤Þ¤·¤¿








Äà²Ì¤ÎÊý¤â¥½¥³¥½¥³¤ÎÀ®²Ì¤ò¸«¤»¤ÆÄº¤ÍÆñ¤¦¸æºÂ¤¤¤Þ¤·¤¿







nakamototosen at 15:46¡ÃPermalink¨¢Comments(0)¨¢
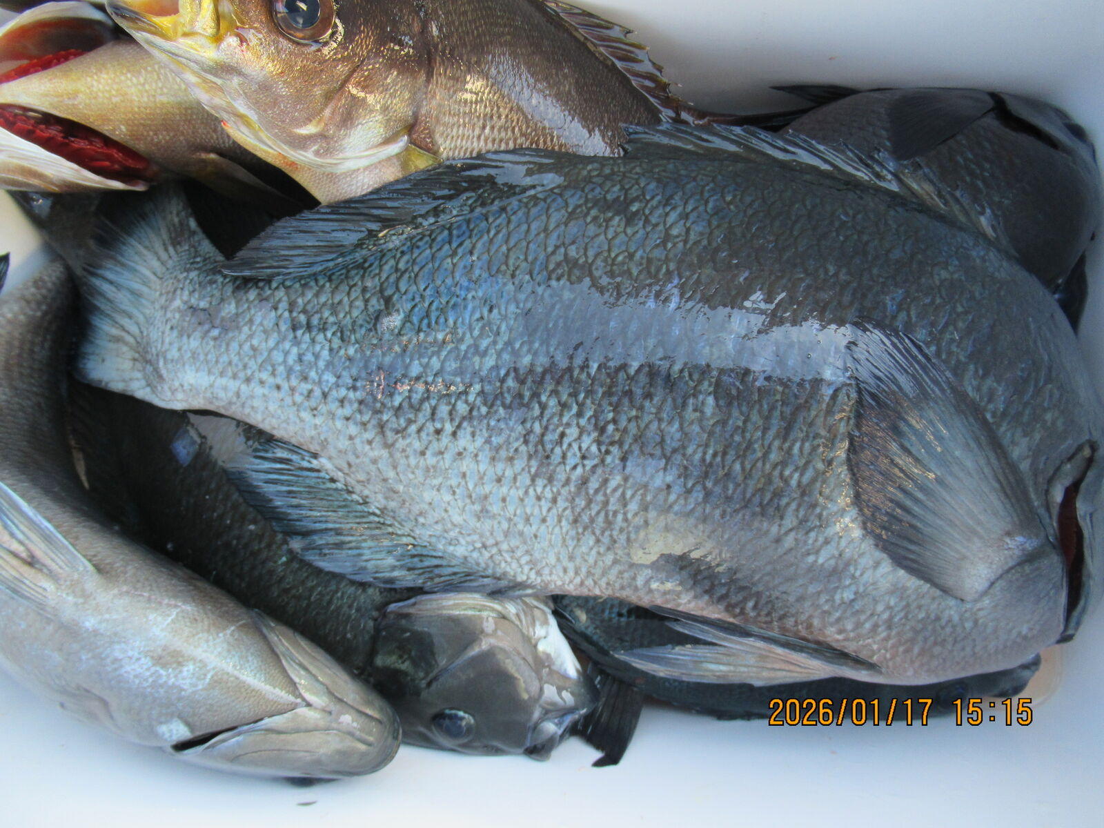
2026ǯ01·î17Æü
º£Æü¤ÎÄà²Ì¤Ç¤¹¡ª¡ª
º£Æü¤ÎÄà²Ì¤Ç¤¹¡ª¡ª
¡¡¡¡Îɤ¤·¿¤Î¥°¥ì¤¬ÌܤËÉÕ¤¯¤è¤¦¤ËÀ®¤Ã¤ÆÍè¤Þ¤·¤¿
¡¡¡¡¥Õ¥«¥»¤ÇÄà¤ê¾å¤²¤¿ÀÐÂä¤âº®¤¸¤Ã¤Æµï¤Þ¤·¤¿
¡¡¡¡
¥¤¥µ¥®¤â¿ô¤¬½Ð¤Æµï¤Þ¤·¤¿¤¬¥Á¥ç¥Ã¥È¾®¿¶¤ê¤Ë´¶¤¸¤Þ¤·¤¿






¥¤¥µ¥®¤â¿ô¤¬½Ð¤Æµï¤Þ¤·¤¿¤¬¥Á¥ç¥Ã¥È¾®¿¶¤ê¤Ë´¶¤¸¤Þ¤·¤¿





nakamototosen at 16:04¡ÃPermalink¨¢Comments(0)¨¢
ÃÙ¤ì¤Ð¤»¤Ê¤¬¤é¡¦¡¦¡¦
£±£¶Æü¤ÎÄà²Ì¤Ç¤¹¡ª¡ª
¡¡¡¡»äÍѤÇÅê¹Æ¤¬ÃÙ¤ì¤Þ¤·¤¿¤¬Á´ÂΤ˥Á¥ç¥Ã¥È¼ä¤·¤«¤Ã¤¿¤Ç¤¹¤Í¡Á¡¡
¡¡£±£·Æü¤ÎÄà²ÌÊó¹ð¤Ë´üÂÔ¤·¤Þ¤·¤ç¤¦¡ª¡ª





nakamototosen at 04:10¡ÃPermalink¨¢Comments(0)¨¢
2026ǯ01·î15Æü
¤¤ç¤¦¤Ï¡¦¡¦¡¦
º£Æü¤Î¥È¥Ã¥×¤ÏÂç½§¡¦¹â²¬¤µ¤ó¤Î¹¥Äà²Ì¤Ç¤¹
¡¡¡¡Ç°´ê¤Î£µ£°cmµé¤Ï¤â¤¦¾¯¤·¤Ç¤·¤¿¤¬¿ô¤ÏÁÇÀ²¤é¤·¤¤Äà²Ì¤Ç¤·¤¿
¡¡¡¡¼¡¤Ï£µ£°cmµé¤Î³Íʪ¥²¥Ã¥Èµ¹¤·¤¯¤Ç¤¹


¾¤ÎÄà¤ê»Õ¤µ¤óã¤â¤½¤ì¤Ê¤ê¤ÎÄà²Ì¤ò¸«¤»¤Æ¸â¤ì¤Þ¤·¤¿
¡¡¡¡¥µ¥¤¥º¤Î¥Ð¥é¥Ä¥¤Ïͤê¤Þ¤¹¤¬¸«»ö¤ÊÄà²Ì¤Ç¤¹





¾¤ÎÄà¤ê»Õ¤µ¤óã¤â¤½¤ì¤Ê¤ê¤ÎÄà²Ì¤ò¸«¤»¤Æ¸â¤ì¤Þ¤·¤¿



nakamototosen at 14:52¡ÃPermalink¨¢Comments(0)¨¢
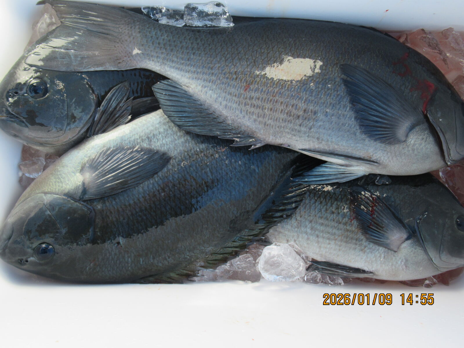
2026ǯ01·î09Æü
º£Æü¤ÎÄà²Ì¤Ç¤¹¡ª¡ª
º£Æü¤ÎÄà²Ì¤Ç¤¹
¡¡¡¡¥°¥ì¤ÎÊ¢¤¬¥¸¥ó¥ï¥ê¤È´Ý¤ß¤òÂӤӤƤ¤¿¤è¤¦¤ËÍ褿Íͤ˴¶¤¸¤Þ¤¹
¡¡¡¡¥¤¥µ¥®¤Ï¥Á¥ç¥Ã¥È¥µ¥¤¥º¤Ë¥Ð¥é¥Ä¥¤¬´¶¤¸¤é¤ì¤Þ¤·¤¿
¡¡¡¡
ËÜÁ¥ÌÀÆü¤«¤é¥Á¥ç¥Ã¥È»äÍѤǷç¹ÒÃפ·¤Þ¤¹
¡¡¡¡Ëô¥Ö¥í¥°¤È¥Õ¥§¥¤¥¹¥Ö¥Ã¥¯¤òÄ̤¸¤Æ½Ð¹Ò¤¬½ÐÍè¤ë¤è¤¦¤ËÀ®¤ì¤ÐÊó¹ðÃפ·¤Þ¤¹
¡¡¡¡£±£³Æü¤«£±£´Æü¤ËÀ®¤ê¤½¤¦¤Ç¤¹






ËÜÁ¥ÌÀÆü¤«¤é¥Á¥ç¥Ã¥È»äÍѤǷç¹ÒÃפ·¤Þ¤¹





nakamototosen at 16:41¡ÃPermalink¨¢Comments(0)¨¢
2026ǯ01·î07Æü
¤¤ç¤¦¤Ï¡¦¡¦¡¦
º£Æü¤Ï¾¯¿Í¿ô¤Ç¤Î½Ð¹Ò¤Ç¤·¤¿¤¬¾ì½ê¤Ë°Í¤Ã¤Æ¤Ï¥½¥³¥½¥³¤Î¥µ¥¤¥º¤Î¥°¥ì¤Ë¥¤¥µ¥®¤¬»Ñ¤ò¸«¤»¤Æ¸â¤ì¤Æµï¤Þ¤·¤¿
¡¡¡¡ÌÀÆü¤ÏÅ·¸õÉÔÎɤǵ٤ߤËÀ®¤ê¤½¤¦¤Ç¤¹
¡¡¡¡
Æü¡¹ÊѤï¤ëÅ·¸õ¤Ë»Í¶ìȬ¶ì¤ÎËèÆü¤Ç¤¹
¡¡¡¡Å·µ¤Í½Êó¤ËËÝÏ®¤µ¤ì¤ëËèÆü¤Ë¥ª¥¤¥ª¥¤¤Î»×¤¤¤Ç¤¹




Æü¡¹ÊѤï¤ëÅ·¸õ¤Ë»Í¶ìȬ¶ì¤ÎËèÆü¤Ç¤¹



nakamototosen at 16:34¡ÃPermalink¨¢Comments(0)¨¢
2026ǯ01·î06Æü
¤¤ç¤¦¤Ï¡¦¡¦¡¦
º£Æü¤ÏÄ«¤ÎÆâËÌÀ¾É÷¤¬¾¯¡¹Í¤Ã¤Æ´¨¤¤Æü¤Ç¤·¤¿
¡¡¡¡Äà²Ì¤â¸«²ó¤ê»þ¤Þ¤Ç¤Ï¥Á¥ç¥Ã¥È¼ä¤·¤«¤Ã¤¿¤Î¤Ç¤¹¤¬¸«²ó¤ê¤«¤éÎɤ¤¥µ¥¤¥º¤Î¥°¥ì¤¬Äà¤ì¤¿ÍͤǤ·¤¿
¡¡¡¡
¥«¥´Äà¤ê¤Çµ×¤·¿¶¤ê¤Ë¥ä¥¤¥È¤¬ÍȤ¬¤Ã¤Æµï¤Þ¤·¤¿
¡¡¡¡Äà¤ê»Õ¤µ¤ó¤¬¥Á¥ç¥Ã¥È¼ä¤·¤¤¤Ç¤¹¤¬Æü¤Ë°Í¤Ã¤Æ¤Ï°ìÇÕ¤ÎÆü¤âͤäÆÌÂÏǤò³Ý¤±¤ë»þ¤â½Ð¤Æ¤¤¤Þ¤¹
¡¡¡¡
¤´Í½Ìó¤Ï¥Á¥ç¥Ã¥ÈÁá¤á¤Ë¤ª´ê¤¤Ãפ·¤Þ¤¹



¥«¥´Äà¤ê¤Çµ×¤·¿¶¤ê¤Ë¥ä¥¤¥È¤¬ÍȤ¬¤Ã¤Æµï¤Þ¤·¤¿
¤´Í½Ìó¤Ï¥Á¥ç¥Ã¥ÈÁá¤á¤Ë¤ª´ê¤¤Ãפ·¤Þ¤¹


nakamototosen at 16:19¡ÃPermalink¨¢Comments(0)¨¢
2026ǯ01·î04Æü
º£Æü¤ÎÄà²Ì¤Ç¤¹¡ª¡ª
º£Æü¤Î¥È¥Ã¥×¤Ï¾¾»³¡¦ÉðÅĤµ¤ó¤Î£µ£±£ã£í¤ÎÂçʪ¥°¥ì¤Ç¤¹
¡¡¡¡Â¾¤Î¼Ì¿¿¤â£µ£°cmµé¤Ïµï¤Þ¤»¤ó¤¬£´£°cmµé¸åȾ¤Î³Íʪ¤¬ÈàÊýº¡Êý¤Ç»Ñ¤ò¸«¤»¤Æ¸â¤ì¤Æµï¤Þ¤·¤¿
¡¡¡¡
¥¤¥µ¥®¤â¥½¥³¥½¥³¤Î¥µ¥¤¥º¤Î³Íʪ¤Ç¤·¤¿






Âç²ñ·ë²Ì¼Ì¿¿¤¬¥Ð¥é¥Ð¥é¤ËÀ®¤Ã¤Æµï¤Þ¤¹¤¬ºòǯ¤Î¤Ê¤«¤â¤ÈÅÏÁ¥Ç¯´ÖÄà¤êÂç²ñ¤Îɽ¾´¼Ô¤Î¼Ì¿¿¤Ç¤¹
¡¡¡¡
²¿Ç¯¤«³Ú¤·¤ó¤Ç夤¤¿Äà¤êÂç²ñ¤âº£Ç¯¤Ç½ªÎ»¤Ç¤¹
¡¡¡¡
Ëô¼¡²ó¤«¤é¤Ï¿·¤·¤¤Á¥Æ¬¤Î¤â¤È³Ú¤·¤ó¤Ç²¼¤µ¤¤¡¡Äà¤ê»Õ¤Î³§¤µ¤ó¤Î·òÆ®¤òµ§¤ê¤Þ¤¹



¥¤¥µ¥®¤â¥½¥³¥½¥³¤Î¥µ¥¤¥º¤Î³Íʪ¤Ç¤·¤¿





Âç²ñ·ë²Ì¼Ì¿¿¤¬¥Ð¥é¥Ð¥é¤ËÀ®¤Ã¤Æµï¤Þ¤¹¤¬ºòǯ¤Î¤Ê¤«¤â¤ÈÅÏÁ¥Ç¯´ÖÄà¤êÂç²ñ¤Îɽ¾´¼Ô¤Î¼Ì¿¿¤Ç¤¹
²¿Ç¯¤«³Ú¤·¤ó¤Ç夤¤¿Äà¤êÂç²ñ¤âº£Ç¯¤Ç½ªÎ»¤Ç¤¹
Ëô¼¡²ó¤«¤é¤Ï¿·¤·¤¤Á¥Æ¬¤Î¤â¤È³Ú¤·¤ó¤Ç²¼¤µ¤¤¡¡Äà¤ê»Õ¤Î³§¤µ¤ó¤Î·òÆ®¤òµ§¤ê¤Þ¤¹


nakamototosen at 19:25¡ÃPermalink¨¢Comments(0)¨¢
2025ǯ12·î30Æü
Âçµù¡ª¡ªÂçµù¡ª¡ª
º£Ç¯¤ÎÄà¤êǼ¤á¡©¤ÎÄà²Ì¤Ç¤¹
¡¡¡¡³§¤µ¤ó¹¥Äà²ÌÍÆñ¤¦¸æºÂ¤¤¤Þ¤·¤¿
¡¡¡¡¼ê»ý¤Á¼Ì¿¿¤¬ÊѤï¤é¤º¿²¤Æ¤·¤Þ¤Ã¤Æµï¤Æ¿½¤·Ìõͤê¤Þ¤»¤ó
¡¡¡¡
ÎÉ·¿¥°¥ì¤¬Â¿¤¯ÈàÊýº¡Êý¤Ç´¶Ã²¤ÎÀ¼¤¬¾å¤¬¤ëÄà²ÌÊó¹ð¼Ì¿¿¤ËÀ®¤ê¤Þ¤·¤¿
¡¡¡¡º£Ç¯¤Î¥·¥á¤Ë¸«»ö¤ÊÄà²ÌÊó¹ð¤¬½ÐÍè¤ÆËÜÅö¤ËͤêÆñ¤¤¤Ç¤¹
¡¡¡¡
ÌÀÆü¤«¤é»Ã¤¯½Ð¹Ò¸«¹ç¤ï¤»¤ËÀ®¤ê¤½¤¦¤Ç¤¹¤¬³§¤µ¤ó£±Ç¯´ÖÍÆñ¤¦¸æºÂ¤¤¤Þ¤·¤¿
¡¡¡¡








ÎÉ·¿¥°¥ì¤¬Â¿¤¯ÈàÊýº¡Êý¤Ç´¶Ã²¤ÎÀ¼¤¬¾å¤¬¤ëÄà²ÌÊó¹ð¼Ì¿¿¤ËÀ®¤ê¤Þ¤·¤¿
ÌÀÆü¤«¤é»Ã¤¯½Ð¹Ò¸«¹ç¤ï¤»¤ËÀ®¤ê¤½¤¦¤Ç¤¹¤¬³§¤µ¤ó£±Ç¯´ÖÍÆñ¤¦¸æºÂ¤¤¤Þ¤·¤¿








nakamototosen at 16:58¡ÃPermalink¨¢Comments(0)¨¢
2025ǯ12·î29Æü
º£Æü¤ÎÄà²Ì¤Ç¤¹¡ª¡ª
º£Æü¤ÎÄà²Ì¤Ç¤¹¡ª¡ª
¡¡¡¡¥È¥Ã¥×¤Ï»³º¬¤µ¤ó¤Î£²Ëç»ý¤Á¤Ç¤¹
¡¡¡¡¥°¥ì¤â¥¸¥ó¥ï¥ê¤È¥µ¥¤¥º¥¢¥Ã¥×¤ËÀ®¤Ã¤ÆÍè½Ð¤·¤Þ¤·¤¿
¡¡¡¡¥¤¥µ¥®¤â¥½¥³¥½¥³¤Î¥µ¥¤¥º¤Ç¤¹
¡¡¡¡
º£Æü¤Ïµ×¤·¿¶¤ê¤ËÀÐÂä¤â»Ñ¤ò¸«¤»¤Æ¸â¤ì¤Þ¤·¤¿
¡¡¡¡ËèÆüÅ·¸õ¤È¥Ë¥é¥á¥Ã¥³¤ÎÆü¤¬Â³¤¤¤Æµï¤Þ¤¹¤¬º£Ç¯¤ÏÌÀÆü¤¬Äà¤êǼ¤á¤ËÀ®¤ê¤½¤¦¤Ç¤¹
¡¡¡¡
¿·Ç¯¤ÎÅ·µ¤Í½Êó¤âÆü¡¹Êѹ¹¤µ¤ì¤ÆÁ¥Æ¬¤â½Ð·ç¤ÎȽÃǤ˻ͶìȬ¶ì¤ÎÆü¡¹¤òÁ÷¤Ã¤Æµï¤Þ¤¹
¡¡¡¡ÌÀÆü¤¬º£Ç¯¤ÎÄà¤êǼ¤á¤ËÀ®¤ê¤½¤¦¤Ç¤¹¤¬Ìµ»ö¤Ë¤ä¤ì¤Þ¤¹Íͤˡ¦¡¦¡¦






º£Æü¤Ïµ×¤·¿¶¤ê¤ËÀÐÂä¤â»Ñ¤ò¸«¤»¤Æ¸â¤ì¤Þ¤·¤¿
¿·Ç¯¤ÎÅ·µ¤Í½Êó¤âÆü¡¹Êѹ¹¤µ¤ì¤ÆÁ¥Æ¬¤â½Ð·ç¤ÎȽÃǤ˻ͶìȬ¶ì¤ÎÆü¡¹¤òÁ÷¤Ã¤Æµï¤Þ¤¹





nakamototosen at 16:17¡ÃPermalink¨¢Comments(0)¨¢
2025ǯ12·î28Æü
º£Æü¤ÎÄà²Ì¤Ç¤¹¡ª¡ª
º£Æü¤ÎÄà²Ì¼Ì¿¿¤ÏÀ¨¤¤¤Ç¤¹
¡¡¡¡Äà¹Ô¤µ¤ì¤¿³§¤µ¤ó¤¬¥°¥ì¡¦¥¤¥µ¥®¤ÎÄà²Ì¤ò¸«¤»¤Æ¸â¤ì¤Þ¤·¤¿
¡¡¡¡¼«Ê¬¤¬µ»öÅê¹Æ¤ò¤·¤À¤·¤ÆºÇ¹â¤ÎËç¿ô¤Ç¤·¤ç¤¦
¡¡¡¡
ÈàÊýº¡Êý¤Î°ë¤Ç³Íʪ¤òÍȤ²¤ÆÄº¤¤Þ¤·¤¿
¡¡¡¡¥µ¥¤¥º¤Ë¥Ð¥é¥Ä¥¤Ïͤê¤Þ¤·¤¿¤¬¹¥Äà²Ì¤À¤È»×¤¤¤Þ¤¹
¡¡¡¡
ÌÀÆü°Ê¹ß¤â¥Á¥ç¥Ã¥ÈÅ·¸õ¤ËÉ԰¤Ïͤê¤Þ¤¹¤¬Äà¤ê»Õ¤µ¤ó¤ÎÄà²Ì¤Ë´üÂÔ¤·¤Þ¤¹
¡¡¡¡Å·¸õ¤Ë·Ã¤Þ¤ì¤ÆÎɤ¤Äà¹Ô¤¬½ÐÍè¤Þ¤¹Íͤˡ¦¡¦¡¦










ÈàÊýº¡Êý¤Î°ë¤Ç³Íʪ¤òÍȤ²¤ÆÄº¤¤Þ¤·¤¿
ÌÀÆü°Ê¹ß¤â¥Á¥ç¥Ã¥ÈÅ·¸õ¤ËÉ԰¤Ïͤê¤Þ¤¹¤¬Äà¤ê»Õ¤µ¤ó¤ÎÄà²Ì¤Ë´üÂÔ¤·¤Þ¤¹









nakamototosen at 16:10¡ÃPermalink¨¢Comments(0)¨¢
2025ǯ12·î27Æü
¤¤ç¤¦¤Ï¡¦¡¦¡¦
º£Æü¤ÎÄà²Ì¤Ç¤¹
¡¡¡¡¥¸¥ó¥ï¥ê¤È¥µ¥¤¥º¥¢¥Ã¥×¤Î¥°¥ì¤¬»Ñ¤ò¸«¤»¤Æ¸â¤ì¤À¤·¤Þ¤·¤¿
¡¡¡¡¥á¥¿¥Ü¥°¥ì¤È¸À¤ï¤ì¤ë¥µ¥¤¥º¤â¤â¤¦¾¯¤·¤·¤¿¤é¸«¤¨¤À¤·¤½¤¦¤Ç¤¹
¡¡¡¡
ǯËö¡¦Ç¯»Ï¤¬¹¥Å·¤Ë·Ã¤Þ¤ì¤ÆÎɤ¤Äà¹Ô¤¬½ÐÍè¤Þ¤¹Íͤˡ¦¡¦¡¦




ǯËö¡¦Ç¯»Ï¤¬¹¥Å·¤Ë·Ã¤Þ¤ì¤ÆÎɤ¤Äà¹Ô¤¬½ÐÍè¤Þ¤¹Íͤˡ¦¡¦¡¦



nakamototosen at 15:10¡ÃPermalink¨¢Comments(0)¨¢
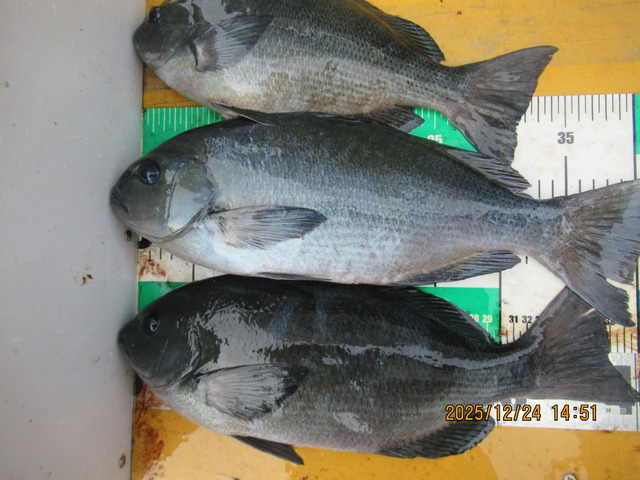
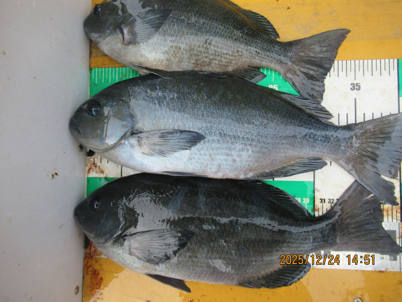
2025ǯ12·î24Æü
º£Æü¤ÎÄà²Ì¤Ç¤¹¡ª¡ª
º£Æü¤ÎÄà²Ì¤Ç¤¹
¡¡¡¡£´£°cmµé¤Î¥°¥ì¤¬¥¸¥ó¥ï¥êÄà¤ì¤Æµï¤Þ¤¹¤¬¥Á¥ç¥Ã¥ÈÊ¢¤¬Çö¤¯´¶¤¸¤Þ¤·¤¿
¡¡¡¡¤â¤¦¾¯¤·±Â¤ò¿©¤¤¹þ¤ó¤ÇÍè¤Æ¤¯¤ì¤¿¤é´Ý¤ß¤¬ÉÕ¤¤¤ÆÍè¤ë¤È»×¤¤¤Þ¤¹
¡¡¡¡
ÌÀÆü¤«¤éËô´¨µ¤¤¬Æþ¤Ã¤ÆÍè¤ëͽÁÛ¤ËÀ®¤Ã¤Æµï¤Þ¤¹¤Î¤Ç²¿Æü´Ö¤«µÙ¤ß¤ËÀ®¤ê¤½¤¦¤Ç¤¹
·ë¹½¶¯¤¤´¨µ¤¤¬Æþ¤Ã¤ÆÍè¤ëͽÁۤʤΤǵ¤¤òÉÕ¤±¤ÆÌµ»ö¤Ë¤ä¤ê²á¤´¤»¤ë»ö¤ò´ê¤¤¤Þ¤·¤ç¤¦




ÌÀÆü¤«¤éËô´¨µ¤¤¬Æþ¤Ã¤ÆÍè¤ëͽÁÛ¤ËÀ®¤Ã¤Æµï¤Þ¤¹¤Î¤Ç²¿Æü´Ö¤«µÙ¤ß¤ËÀ®¤ê¤½¤¦¤Ç¤¹



nakamototosen at 15:56¡ÃPermalink¨¢Comments(0)¨¢
2025ǯ12·î23Æü
¤¤ç¤¦¤Ï¡¦¡¦¡¦
£³Æü¤Ö¤ê¤Î½Ð¹Ò¤Ç¤·¤¿
¡¡¡¡Ä«¤Î¥¦¥Á¤ÏÉ÷¤âÂ礷¤¿¤³¤È̵¤¯ÀŤ«¤Ë¤ä¤ì¤Æ¤¤¤Þ¤·¤¿¤¬µ¢¤ëº¢¤Ë¤ÏÆîÅì¤ÎÉ÷¤¬ÉÕ¤¤¤ÆÇȤâ¥Á¥ç¥Ã¥È½Ð¤Æ¤¤Þ¤·¤¿
¡¡¡¡
º£Æü¤ÎÄà²Ì¤ÏÆÃÊ̤ÊÂçÄà¤ê¤Ï̵¤«¤Ã¤¿¤Î¤Ç¤¹¤¬¥Þ¥º¥Þ¥º¤Î·¿¤Î³Íʪ¤¬¸«¤¨¤Æµï¤Þ¤·¤¿
¡¡¡¡¥Þ¥À¥Þ¥ÀÊ¢²ó¤ê¤ËÆù¤¬ÉÕ¤¤¤ÆÍ褿¤éÎɤ¤³Íʪ¤ËÀ®¤ê¤½¤¦¤Ç¤¹
¡¡¡¡
´¨¥°¥ì¥·¡¼¥º¥ó¤Î³Íʪ¤ËÀ®¤ë¤Î¤Ë¸å¾¯¤·¤Î´¶¤¸¤Ç¤¹
¡¡¡¡ÌÀÆü°Ê¹ß¤Ë´üÂÔ¤·¤Þ¤·¤ç¤¦







º£Æü¤ÎÄà²Ì¤ÏÆÃÊ̤ÊÂçÄà¤ê¤Ï̵¤«¤Ã¤¿¤Î¤Ç¤¹¤¬¥Þ¥º¥Þ¥º¤Î·¿¤Î³Íʪ¤¬¸«¤¨¤Æµï¤Þ¤·¤¿
´¨¥°¥ì¥·¡¼¥º¥ó¤Î³Íʪ¤ËÀ®¤ë¤Î¤Ë¸å¾¯¤·¤Î´¶¤¸¤Ç¤¹






nakamototosen at 16:13¡ÃPermalink¨¢Comments(0)¨¢
2025ǯ12·î20Æü
º£Æü¤ÎÄà²Ì¤Ç¤¹¡ª¡ª
º£Æü¤âÎɤ¤·¿¤Î¥°¥ì¤ä¥¤¥µ¥®¡¦¥Ï¥¿¤Ë¥ä¥º¤Ê¤É¤Î³Íʪ¤òÄà¤Ã¤ÆÌ㤤¤Þ¤·¤¿
¡¡¡¡¥°¥ì¤ÎÀ£¤â¥½¥³¥½¥³¤Î¥µ¥¤¥º¤ËÀ®¤Ã¤ÆÂη¿¤â´Ý¤ß¤òÂÓ¤Ó¤ÆÍè¤Þ¤·¤¿
¡¡¡¡
¥¤¥µ¥®¤â¤½¤ì¤Ê¤ê¤Î¥µ¥¤¥º¤ÇÈþÌ£¤½¤¦¤Ç¤¹
¡¡¡¡ÌÀÆü¡¦ÌÀ¸åÆü¤ÏÅ·¸õÉÔÎɤÎͽÁۤʤΤÇËÜÁ¥·ç¹Ò¤ÎÊý¸þ¤Ë¤·¤Þ¤·¤¿
¡¡¡¡£²£³Æü¤«¤éËô½Ð¹Ò¤¹¤ëͽÄê¤Ç¤¹




¥¤¥µ¥®¤â¤½¤ì¤Ê¤ê¤Î¥µ¥¤¥º¤ÇÈþÌ£¤½¤¦¤Ç¤¹



nakamototosen at 16:20¡ÃPermalink¨¢Comments(0)¨¢
2025ǯ12·î19Æü
º£Æü¤ÎÄà²Ì¤Ç¤¹¡ª¡ª
º£Æü¤ÎÄà²Ì¤Ç¤¹¡ª¡ª
¡¡¡¡¾ì½ê¤Ë°Í¤êÄà¤ê»Õ¤µ¤ó¤Ë°Í¤Ã¤Æ¤Î¥à¥é¤Ïͤê¤Þ¤·¤¿¤¬¸á¸å¤ËÀ®¤Ã¤ÆÆîÅìÉ÷¤¬¶¯¤¯¤Ê¤Ã¤Æ¥Á¥ç¥Ã¥ÈÁá¤á¤Îű¼ý¤ËÀ®¤ê¤Þ¤·¤¿
¡¡¡¡
¥°¥ì¤ÎÂ礤¤¤Î¤Ï£µ£°cm¤Ë¸å¾¯¤·¤Î³Íʪ¤âº®¤¸¤Ã¤Æµï¤Þ¤·¤¿
¡¡¡¡¥«¥´Äà¤ê¤Î¥¤¥µ¥®¤â´Ý¤ß¤âͤäƾåÅù¤Ç¤·¤¿
¡¡¡¡
ÌÀÆü¤â¥Á¥ç¥Ã¥ÈÉ÷¡¦ÇȤ¬Í¤ê¤½¤¦¤Ç¤¹¤¬¥Ù¥¿Æä¤è¤ê¤âÎɤµ¤½¤¦¤Ë´¶¤¸¤Þ¤¹
¡¡¡¡Äà¤ê»Õ¤µ¤óã¤Î·òÆ®¤òµ§¤ê¤Þ¤¹






¥°¥ì¤ÎÂ礤¤¤Î¤Ï£µ£°cm¤Ë¸å¾¯¤·¤Î³Íʪ¤âº®¤¸¤Ã¤Æµï¤Þ¤·¤¿
ÌÀÆü¤â¥Á¥ç¥Ã¥ÈÉ÷¡¦ÇȤ¬Í¤ê¤½¤¦¤Ç¤¹¤¬¥Ù¥¿Æä¤è¤ê¤âÎɤµ¤½¤¦¤Ë´¶¤¸¤Þ¤¹





nakamototosen at 15:09¡ÃPermalink¨¢Comments(0)¨¢
2025ǯ12·î18Æü
º£Æü¤ÎÄà²Ì¤Ç¤¹¡ª¡ª
º£Æü¤âËô¼Ì¿¿¤Î¼è¤ê¹þ¤ß¤Ë¼ºÇÔ¤·¤Þ¤·¤¿
¡¡¡¡½Ä»£¤ê¤ò¤·¤¿¤Î¤Ç¤¹¤¬¥ä¥Ã¥Ñ¥ê¿²¤Æ¤·¤Þ¤¤¤Þ¤·¤¿
¡¡¡¡À޳ѤÎÎÉ·¿¥°¥ì¤ÎÅê¹Æ¤Ç¤·¤¿¤¬½¹¤¯À®¤Ã¤Æ¿½¤·Ìõͤê¤Þ¤»¤ó
¡¡¡¡
À¾»³¤µ¤ó¥´¥á¥ó¤Ç¤¹
¡¡¡¡¥¸¥ó¥ï¥ê¤ÈËÜÍè¤Î´¨¥°¥ì¤ËÀ®¤Ã¤ÆÍè½Ð¤·¤Þ¤·¤¿
¡¡¡¡Ê¢¤â´Ý¤ß¤òÂÓ¤Ó¤ÆÍè¤Þ¤·¤¿¤·¥µ¥¤¥º¤â£´£°£ã£í¸åȾ¤Î³Íʪ¤¬½¼Ê¬¤Ë¸«¤¨¤ÆÍè½Ð¤·¤Þ¤·¤¿
¡¡¡¡
£µ£°cmµé¤â¤¸¤ó¤ï¤ê¸«¤¨¤ÆÍè½Ð¤·¤Þ¤·¤¿
¡¡¡¡Ç¯Ëö¡¦Ç¯»Ï¤È³Ú¤·¤ß¤ËÀ®¤Ã¤ÆÍè½Ð¤·¤Þ¤·¤¿
¡¡¡¡¸å¤ÏÅ·¸õ¼¡Âè¤Ê¤Î¤Çº£¸å¤È¤âµ¹¤·¤¯¤Ç¤¹




À¾»³¤µ¤ó¥´¥á¥ó¤Ç¤¹
£µ£°cmµé¤â¤¸¤ó¤ï¤ê¸«¤¨¤ÆÍè½Ð¤·¤Þ¤·¤¿



nakamototosen at 15:49¡ÃPermalink¨¢Comments(0)¨¢
2025ǯ12·î16Æü
¤¤ç¤¦¤Ï¡¦¡¦¡¦
º£Æü¤Ï£²Æü´Ö¤ÎµÙ¤ßÌÀ¤±¤Ç¤Î½Ð¹Ò¤Ç¤·¤¿
¡¡¡¡¥È¥Ã¥×¤Ïµû¤¬¶Ê¤¬¤Ã¤Æµï¤Ê¤«¤Ã¤¿¤é¤â¤¦¾¯¤·À£¤¬½Ð¤Æ¤¤¤¿¤è¤¦¤Ê¥°¥ì¤Ç¤·¤¿
¡¡¡¡ÈøÄ¹º®¤¸¤ê¤Î¥°¥ì¤¬¾å¤¬¤Ã¤Æµï¤Þ¤·¤¿
¡¡¡¡
¥ë¥¢¡¼¥Þ¥ó¤ÎÄà²Ì¤Ï¥Ï¥Þ¥Áº®¤¸¤ê¤Ç¥Þ¥º¥Þ¥º¤ÎÄà²Ì¤Ç¤·¤¿



¥ë¥¢¡¼¥Þ¥ó¤ÎÄà²Ì¤Ï¥Ï¥Þ¥Áº®¤¸¤ê¤Ç¥Þ¥º¥Þ¥º¤ÎÄà²Ì¤Ç¤·¤¿


nakamototosen at 15:37¡ÃPermalink¨¢Comments(0)¨¢
2025ǯ12·î13Æü
º£Æü¤ÎÄà²Ì¤Ç¤¹¡ª¡ª
º£Æü¤Ï¸«»ö¤ÊÄà²ÌÊó¹ð¤ËÀ®¤ê¤Þ¤·¤¿
¡¡¡¡¹áÀî¤ÎÃæÂ¼¤µ¤ó¤Î¥°¥ì¤Ï¸å¿ô¥ß¥ê¤ÇÂÔ˾¤Î£µ£°£ã£í¥°¥ì¤Ç¤·¤¿
¡¡£²ËçÌÜ¤ÎÆÁÅ硦Âçµ×Êݤµ¤ó¤Î¥°¥ì¤ÎÄà²Ì¤ÏÆÃɮʪ¤ÎÄà²Ì¤Ç¤·¤¿
¡¡¡¡
Ä«¤Î°ë¾å¤¬¤ê¤«¤é²¿¤«¤ò´¶¤¸¤¿¤Î¤«°ëÂå¤ï¤ê¤ò´õ˾¤µ¤ì¤Æ¾å¤¬¤Ã¤¿°ë¤Ç¤ÎÄà²Ì¤¬À¨¤«¤Ã¤¿¤Ç¤¹
¡¡¡¡¿ô¤â¥µ¥¤¥º¤â¤ª¸«»ö¡¦¤ª¸«»ö
¡¡¡¡
º£Æü¤ÏÄì¼Ô¤µ¤ó¤â¾¤ÎÊý¡¹¤â¥°¥ì¤Ë¥¤¥µ¥®¤ÈÁ¥Æ¬¥Ó¥Ã¥¯¥ê¤Î¹¥Äà²Ì¤Ç¤·¤¿
¡¡¡¡³§¤µ¤óÍÆñ¤¦¸æºÂ¤¤¤Þ¤·¤¿
¡¡¡¡¤ªÈè¤ìÍͤǤ·¤¿
¡¡¡¡
Àµ·î¤òâˤó¤Ç¤³¤ÎÄà²Ì¤Ïº£¸å¤Î³Ú¤·¤ß¤òÍ¿¤¨¤ÆÄº¤¤Þ¤·¤¿
¡¡¡¡ÌÀÆü¡¦ÌÀ¸åÆü£±£´¡¦£±£µÆü¤ÏÅ·µ¤Í½Êó»×¤ï¤·¤¯Ìµ¤¤¤Î¤ÇµÙ¤Þ¤»¤ÆÄº¤¤Þ¤¹¤¬£±£¶Æü¤Ë¤Ï½Ð¹ÒͽÄê¤Çµï¤Þ¤¹
¡¡¡¡
Å·µ¤Í½Êó¤ò¥·¥Ã¥«¥ê³Îǧ¤·¤ÆÄà¹Ô¤·¤Æ²¼¤µ¤¤







Ä«¤Î°ë¾å¤¬¤ê¤«¤é²¿¤«¤ò´¶¤¸¤¿¤Î¤«°ëÂå¤ï¤ê¤ò´õ˾¤µ¤ì¤Æ¾å¤¬¤Ã¤¿°ë¤Ç¤ÎÄà²Ì¤¬À¨¤«¤Ã¤¿¤Ç¤¹
º£Æü¤ÏÄì¼Ô¤µ¤ó¤â¾¤ÎÊý¡¹¤â¥°¥ì¤Ë¥¤¥µ¥®¤ÈÁ¥Æ¬¥Ó¥Ã¥¯¥ê¤Î¹¥Äà²Ì¤Ç¤·¤¿
Àµ·î¤òâˤó¤Ç¤³¤ÎÄà²Ì¤Ïº£¸å¤Î³Ú¤·¤ß¤òÍ¿¤¨¤ÆÄº¤¤Þ¤·¤¿
Å·µ¤Í½Êó¤ò¥·¥Ã¥«¥ê³Îǧ¤·¤ÆÄà¹Ô¤·¤Æ²¼¤µ¤¤






nakamototosen at 15:43¡ÃPermalink¨¢Comments(0)¨¢












































































