中本渡船 釣果情報
月間賞
2024年08月14日
岡山・金本さん
久し振りの良型のグレです
46・7cmのグレですが尻尾がサメに食われたんかな〜
順調に上がって来ていたら50cmに近かった???
このまま月間賞ゲット成りますかな??
nakamototosen at 14:27|
Permalink
│
Comments(0)
│
2024年07月04日
松山・松岡さん
松山・松岡さんの釣果です
一番大きいので44・3cmのイサギ他の釣果です
月間賞は6月度・42cmのイサギでゲットしました
明日も出航します
nakamototosen at 15:02|
Permalink
│
Comments(0)
│
2024年04月20日
松山・松岡さん
4月度・月間賞候補に名乗りです
44cmの見事なイサギでした
nakamototosen at 15:09|
Permalink
│
Comments(0)
│
2024年03月03日
徳島・坂東さん
久し振りに出ました51・8cmの大物グレ
徳島・坂東さん一躍グレ部門のトップに躍り出ました
このまま年間部門賞並びに3月度大物賞ゲット成りますかな
nakamototosen at 16:22|
Permalink
│
Comments(0)
│
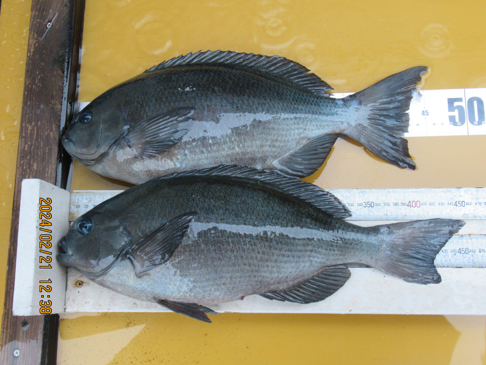
2024年02月21日
宇和島・岸本さん
グレ・2匹長寸大会47・5cmと45・5cmで一躍トップに成りました
カミナリが無ければとバラした1枚が取れて居ればと悔しがって居ました
nakamototosen at 13:58|
Permalink
│
Comments(0)
│
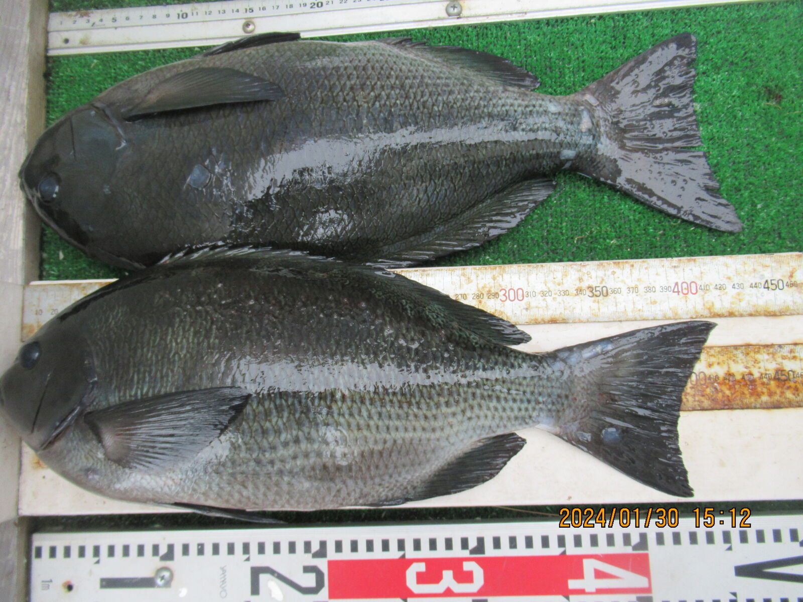
2024年01月30日
香川・岡田さん
今日のトップは香川・岡田さんの49・2cmの良型グレです
一躍月間賞候補並びにグレ部門トップに成りました
オメデトウ御座いました
nakamototosen at 16:26|
Permalink
│
Comments(0)
│
2023年12月26日
大洲・祖母井さん
久し振りの大物グレの釣果です
53・5cmで月間賞・年間大物賞の対象魚に名乗りです
釣れた所はエーと思う様な磯でした
磯の名前に負けず与えられたくじ磯で頑張って下さい
お見事でした
nakamototosen at 16:10|
Permalink
│
Comments(0)
│
2023年11月05日
岡山・難波さん
岡山・難波さん
49cmと45cmグレを釣り上げて大会優勝オメデトウ御座います
nakamototosen at 16:12|
Permalink
│
Comments(0)
│
2023年10月30日
西条・金子さん
久し振りに47cmの良型グレの釣果にニンマリの西条・金子さんです
47cmの良型グレで初の月間賞獲得成りそうです
nakamototosen at 15:20|
Permalink
│
Comments(0)
│
2023年09月10日
松山・松岡さん
イサギ・42・3cmの良型の獲物です
久し振りの良型イサギが見えました
7月・8月と月間賞候補も無く寂しかったですが久し振りの獲物の投稿です
nakamototosen at 14:51|
Permalink
│
Comments(0)
│
2023年06月18日
尾道・木村さん
今日のこの獲物を見て同行された皆さん一斉にお見事の声が出ました
本船では珍しい60cmの見事な石鯛です
このまま月間賞ゲット成りますかな???
nakamototosen at 15:20|
Permalink
│
Comments(0)
│
2023年05月17日
大洲・袖岡さん
検寸台に乗せて見ると久し振りの50cmのグレです
本人も久し振りの獲物にニンマリでした
nakamototosen at 14:33|
Permalink
│
Comments(0)
│
2023年05月10日
松山・松岡さん
今日は釣り師さんも少なかったですが釣果の方もチョット寂しかったです
その中で44cmのイサギがあがって居ました
イサギ部門トップに成って居ます
明日も少ないながら出航します
nakamototosen at 16:26|
Permalink
│
Comments(0)
│
2023年04月01日
なにわ・鴨野さん
イサギの釣果です
一人で釣り上げた好釣果写真です
一番大きいのは40cm有りました
初の月間賞ゲット成りますかな〜
明日も出航します
nakamototosen at 14:57|
Permalink
│
Comments(0)
│
2023年03月10日
宇和島・岸本さんの釣果です
待ち望んだ待望の50cmオーバーの良型グレの釣果に本人もニンマリでした
このまま月間賞ゲット成りますかな
もう1枚バラしたのが残念
nakamototosen at 15:21|
Permalink
│
Comments(0)
│
2023年02月27日
姫路・松岡さん
北寄りの風の中釣り上げた43・0cmの良型イサギで一躍月間賞候補に名乗りです
最後にバラした獲物を悔しがって居ました
nakamototosen at 15:19|
Permalink
│
Comments(0)
│
2023年01月02日
今日の大物
香川・橋川(親父さん)の51・5cmの大物グレです
一躍月間賞候補に名乗りです
nakamototosen at 15:57|
Permalink
│
Comments(0)
│
2022年12月10日
姫路・松岡さん
遂に51cmの大物グレをゲットしました
他にはイサギの釣果でしたがエ〜と言うような所でゲットした獲物です
このまま月間賞ゲット成りますかな???
nakamototosen at 18:16|
Permalink
│
Comments(0)
│
2022年11月27日
岡山・柳生さん
今日のトップは50・5cmと48・0cmの良型グレを釣り上げた岡山・柳生さんです
グレ2匹長寸大会のトップに躍り出ました
後残りひと月・・このままトップで行けますかな???
nakamototosen at 16:26|
Permalink
│
Comments(0)
│
2022年10月21日
兵庫・金持さん
昨日の糸岡さんに続いて47cmの体高の有る良型のグレをゲットして呉れました
ボツボツグレが姿が見えて来始めて楽しみに成って来出しました
明日も出航します
nakamototosen at 15:09|
Permalink
│
Comments(0)
│
次のページへ
アクセスカウンター
今日:
昨日:
累計:
コンテンツ
トップページ
釣果情報
民宿 まる屋
料金・サービス内容
磯<いそ>マップ
アクセス
年間予定・出航予定
リンク
Categories
なかもと渡船からのお知らせ (2)
釣果情報 (4102)
大会チーム (18)
月間賞 (184)
年間賞 (26)
大物賞 (12)
グレ情報 (2264)
真鯛情報 (182)
青物情報 (288)
底物情報 (369)
イサギ・シマアジ情報 (880)
その他 (1119)
Archives
月を選択
2026年01月
2025年12月
2025年11月
2025年10月
2025年09月
2025年08月
2025年07月
2025年06月
2025年05月
2025年04月
2025年03月
2025年02月
2025年01月
2024年12月
2024年11月
2024年10月
2024年09月
2024年08月
2024年07月
2024年06月
2024年05月
2024年04月
2024年03月
2024年02月
2024年01月
2023年12月
2023年11月
2023年10月
2023年09月
2023年08月
2023年07月
2023年06月
2023年05月
2023年04月
2023年03月
2023年02月
2023年01月
2022年12月
2022年11月
2022年10月
2022年09月
2022年08月
2022年07月
2022年06月
2022年05月
2022年04月
2022年03月
2022年02月
2022年01月
2021年12月
2021年11月
2021年10月
2021年09月
2021年08月
2021年07月
2021年06月
2021年05月
2021年04月
2021年03月
2021年02月
2021年01月
2020年12月
2020年11月
2020年10月
2020年09月
2020年08月
2020年07月
2020年06月
2020年05月
2020年04月
2020年03月
2020年02月
2020年01月
2019年12月
2019年11月
2019年10月
2019年09月
2019年08月
2019年07月
2019年06月
2019年05月
2019年04月
2019年03月
2019年02月
2019年01月
2018年12月
2018年11月
2018年10月
2018年09月
2018年08月
2018年07月
2018年06月
2018年05月
2018年04月
2018年03月
2018年02月
2018年01月
2017年12月
2017年11月
2017年10月
2017年09月
2017年08月
2017年07月
2017年06月
2017年05月
2017年04月
2017年03月
2017年02月
2017年01月
2016年12月
2016年11月
2016年10月
2016年09月
2016年08月
2016年07月
2016年06月
2016年05月
2016年04月
2016年03月
2016年02月
2016年01月
2015年12月
2015年11月
2015年10月
2015年09月
2015年08月
2015年07月
2015年06月
2015年05月
2015年04月
2015年03月
2015年02月
2015年01月
2014年12月
2014年11月
2014年10月
2014年09月
2014年08月
2014年07月
2014年06月
2014年05月
2014年04月
2014年03月
2014年02月
2014年01月
2013年12月
2013年11月
2013年10月
2013年09月
2013年08月
2013年07月
2013年06月
2013年05月
2013年04月
2013年03月
2013年02月
2013年01月
2012年12月
2012年11月
2012年10月
2012年09月
2012年08月
2012年07月
2012年06月
2012年05月
2012年04月
2012年03月
2012年02月
2012年01月
2011年12月
2011年11月
2011年10月
2011年09月
2011年08月
2011年07月
2011年06月
2011年05月
2011年04月
2011年03月
2011年02月
2011年01月
2010年12月
2010年11月
2010年10月
2010年09月
2010年08月
2010年07月
2010年06月
2010年05月
2010年04月
2010年03月
2010年02月
2010年01月
2009年12月
2009年11月
2009年10月
2009年09月
2009年08月
2009年07月
2009年06月
2009年05月
2009年04月
2009年03月
2009年02月
2009年01月
2008年12月
2008年11月
2008年10月
2008年09月
2008年08月
2008年07月
2008年06月
2008年05月
2008年04月
2008年03月
2008年02月
2008年01月
2007年12月
2007年11月
2007年10月
2007年09月
2007年08月
最新記事
天気予報です!!
連絡!!
テスト中
きょうは・・・
きょうは・・・
今日の釣果です!!
遅ればせながら・・・
きょうは・・・
帰って来ました!!
今日の釣果です!!
最新コメント
QRコード