釣果情報
2025年05月15日
2025年05月11日
2025年05月05日
今日の釣果です
今日の釣果です
カゴ釣りのイサギは40cm級の体高の有る見事なイサギでした


ふかせ釣りのイサギはカゴの獲物に比べたらヒトサイズ小さく感じました


初めての磯釣りチャレンジで釣り上げたグレの写真です
今後の活躍を期待したいと思います
この一枚は外道に成りますが見事な大きさの獲物でした
次はチョット違った獲物のゲットをお願いします



ふかせ釣りのイサギはカゴの獲物に比べたらヒトサイズ小さく感じました

初めての磯釣りチャレンジで釣り上げたグレの写真です

nakamototosen at 15:00|Permalink│Comments(0)│
2025年05月04日
きょうは・・・
昨日は底者さんが60cm弱のイシダイを釣り上げてくれて居たのですが写真の取り込みに失敗して画像の紹介が出来ませんでした
折角良い獲物を釣り上げて貰った宇和島のFさん本当に申し訳有りませんでした
なんとか又良い獲物を釣り上げて下さい
今日は折角出たのですが結構北寄りの風が強く釣果に結び付きませんでした

折角良い獲物を釣り上げて貰った宇和島のFさん本当に申し訳有りませんでした
nakamototosen at 14:37|Permalink│Comments(0)│
2025年04月30日
今日の釣果です!!
カゴ釣りさんの釣果です
50cm級の真鯛に40cmクラスのイサギの好釣果でした
フカセでは50cmオーバーの白いグレが・・・
それでも一時の様に何も反応が無いよりは楽しみが増えて来たと思います
今後に期待しましょう

それでも一時の様に何も反応が無いよりは楽しみが増えて来たと思います
nakamototosen at 14:30|Permalink│Comments(0)│
2025年04月29日
2025年04月22日
きょうは・・・徳島・市原さん他の釣果です
今日は天気予報がチョット心配の中やれる所でやれる間で良いよと言って貰った釣り師さんと一路沖へ・・・
何時かは波と風が付いて来ると思いながら警戒しながらの釣行でしたが無事に時間迄やれて港に着いて釣り師さんのクーラーを開けてビックリ玉手箱状態に感謝・感謝でした
50cmの良型尾長グレが2枚にイサギも40cm超えの丸みの有る良型他少々の枚数に真鯛混じりで最近では無かった大漁・大漁の釣果でした
釣り師さんおつかれ様でしたそして有難う御座いました


何時かは波と風が付いて来ると思いながら警戒しながらの釣行でしたが無事に時間迄やれて港に着いて釣り師さんのクーラーを開けてビックリ玉手箱状態に感謝・感謝でした
50cmの良型尾長グレが2枚にイサギも40cm超えの丸みの有る良型他少々の枚数に真鯛混じりで最近では無かった大漁・大漁の釣果でした

nakamototosen at 14:52|Permalink│Comments(0)│
2025年04月21日
2025年04月20日
2025年04月19日
久し振りの出航でした
ほぼ一週間振りの出航でした
釣果はカゴ氏さんのイサギがチョットの寂しかったですが型は良型の部類に入ると思います
明日から出航時間が早く成り通し釣りも始まります
朝から晩の6時迄の長時間釣行に成りますが頑張って下さい
昼釣りは現状ですので宜しく

朝から晩の6時迄の長時間釣行に成りますが頑張って下さい
nakamototosen at 14:48|Permalink│Comments(0)│
2025年04月11日
2025年04月08日
きょうは・・・
数は少なくともマズマズの型の獲物でした
イサギもそれなりのサイズで丸みを帯びて良い感じでした
グレはもう少しサイズが欲しいところでしたが姿を見えただけでも今後に期待が出来そうです

水温がジンワリと上がってきて17度台の水温に成って来はじめて湧きグレの姿が凄いです
今後に期待しましょう



水温がジンワリと上がってきて17度台の水温に成って来はじめて湧きグレの姿が凄いです


nakamototosen at 15:15|Permalink│Comments(0)│
2025年04月05日
2025年04月02日
2025年03月31日
今日の釣果です
今日は北寄りの風が一日吹いて久し振りに寒さを感じました
釣果の方も良型のイサギ(40cmもつれ)が目に付きますが狙い目のグレが残念ながらバラシの対象に成って??
明日から抽選時間が変わりますが釣り師さんから声が掛からず日替わり出航の感じです




釣果の方も良型のイサギ(40cmもつれ)が目に付きますが狙い目のグレが残念ながらバラシの対象に成って??
明日から抽選時間が変わりますが釣り師さんから声が掛からず日替わり出航の感じです



nakamototosen at 16:03|Permalink│Comments(0)│
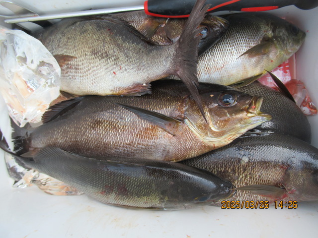
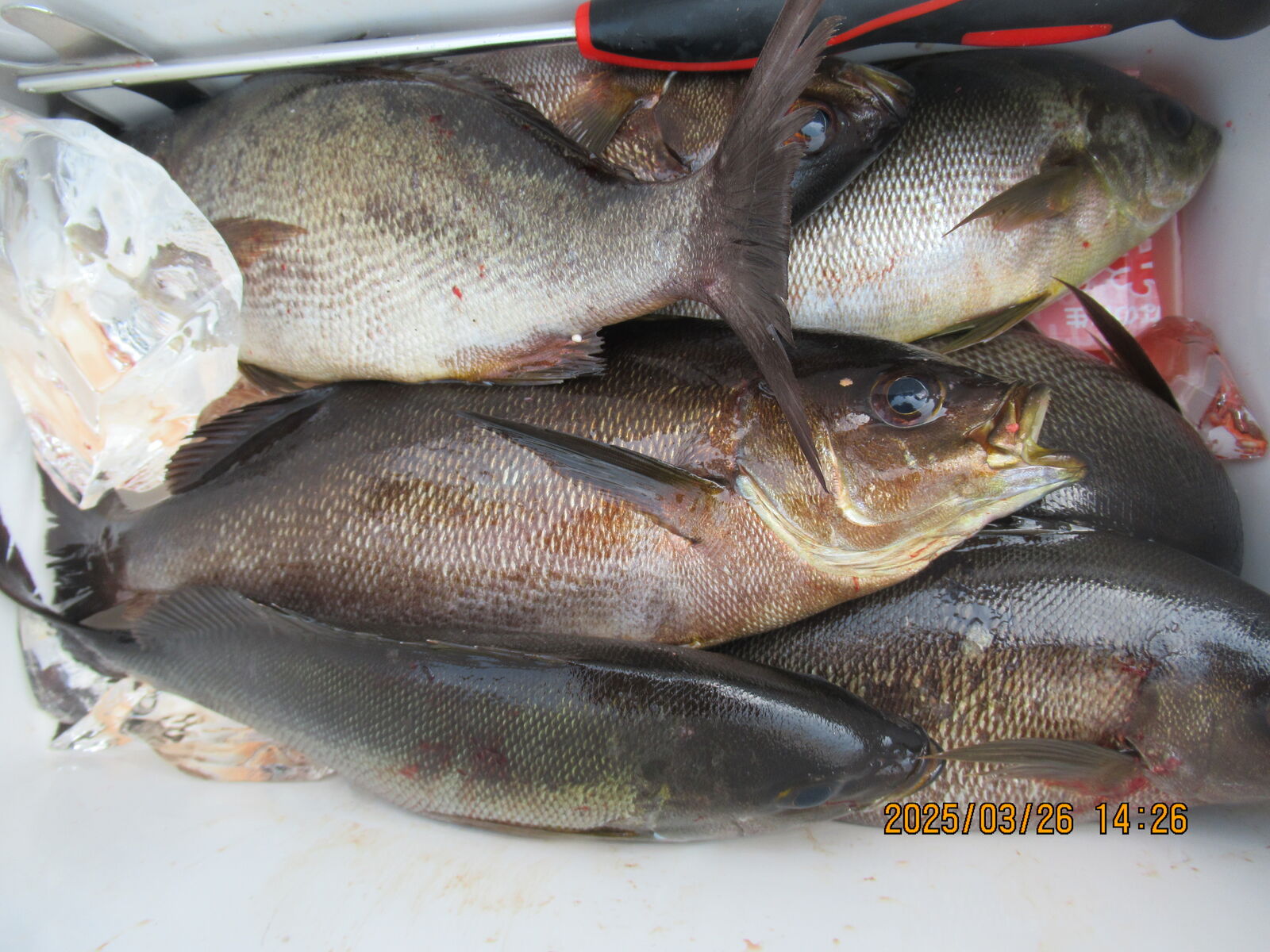
2025年03月26日
今日の釣果です
朝のウチヒデサンに揚がって貰おうと思い磯に行っては見たもののチョット厳しそうでしたので他の磯に上がって貰いました
イサギが数もサイズも素晴らしかったです
もう1枚はフカセ釣りで仕留めたイシダイが居ました
後には静かに成って来ましたが明日以降予報が悪くキャンセルに成りました 
3月も後31日に一組だけの予約に成りました


もう1枚はフカセ釣りで仕留めたイシダイが居ました

nakamototosen at 16:35|Permalink│Comments(0)│
2025年03月23日
きょうは・・・
今日はマタマタMさんが漁場調査に寄って呉れました
同行した皆さんもグレの釣果にサスガ・サスガの言葉でした
船頭今日はカメラのバッテリーが無く写真の撮影が出来なくて海況の写真も撮れず他の方々の釣果写真も撮れず申し訳ない記事投稿に成りました
明日・明後日は春の定期ドックの為欠航しますが水曜日からは又宜しくお願いいたします



船頭今日はカメラのバッテリーが無く写真の撮影が出来なくて海況の写真も撮れず他の方々の釣果写真も撮れず申し訳ない記事投稿に成りました
明日・明後日は春の定期ドックの為欠航しますが水曜日からは又宜しくお願いいたします


nakamototosen at 15:21|Permalink│Comments(0)│
2025年03月22日
きょうは・・・
今日は予想外の南寄りの風波に遭遇して釣り師さん達も難しい釣行に成りました
天気予報では今日は波1m予報でしたが現場は大ウネリ波に四苦八苦でした
厳しい釣行で釣果写真も寂しかったです
明日はどうなりますことやら・・・
本船3月24日・25日と春の定期ドックのため休みます


厳しい釣行で釣果写真も寂しかったです

nakamototosen at 15:16|Permalink│Comments(0)│
2025年03月21日
2025年03月18日
きょうは・・・
今日のトップは初釣行の若者のグレです
40cm級のグレを喜んで貰いました
天気予報が安定して無い中での釣行でしたがルアーで釣ったスズキは良型の獲物でした
天候が日替わりみたいで安定して居ませんが又予報を確認しながら釣行します




天候が日替わりみたいで安定して居ませんが又予報を確認しながら釣行します



nakamototosen at 15:26|Permalink│Comments(0)│









































