釣果情報
2025年06月06日
今日の釣果です
今日のトップは松山・松岡さんの49cmグレです
他にはイサギがチラホラ


徳島・秋月さんのイサギの釣果です
今日の獲物は若干小振りの魚が目に付きましたがジンワリ型の良いイサギも混じって居ました
まだまだ釣果に期待できそうですので頑張って下さい





徳島・秋月さんのイサギの釣果です



nakamototosen at 14:39|Permalink│Comments(0)│
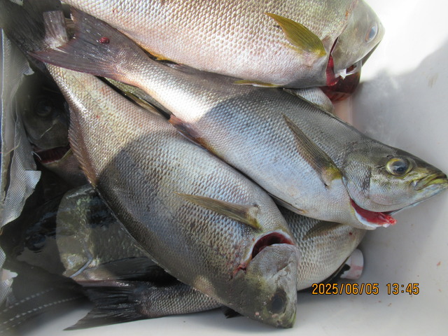
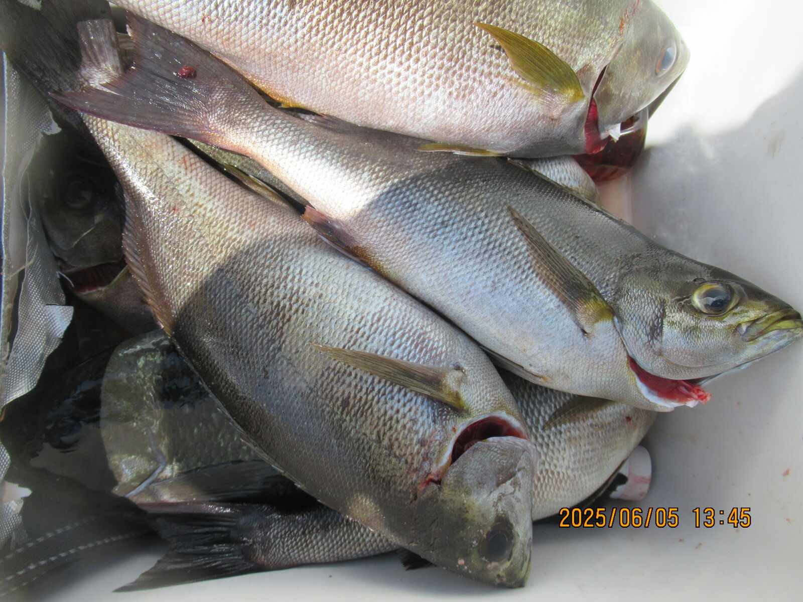
2025年06月05日
今日の釣果です!!
今日の釣果です
サイズ的にもチョット場所に依る違いが見えて居ました
目視出来るグレやイサギを狙っては見るものの中々針に乗ってくれんと釣り師さんの言葉でした
明日も出航しますが道路の改修工事で迷惑を掛けますがガードマンさんに声掛けをしてなかもと渡船に行くと一言言って貰えれば多分優遇して貰えます


明日も出航しますが道路の改修工事で迷惑を掛けますがガードマンさんに声掛けをしてなかもと渡船に行くと一言言って貰えれば多分優遇して貰えます

nakamototosen at 14:35|Permalink│Comments(0)│
2025年06月04日
今日の釣果です!!
今日のトップは松山・村上さんの良型グレです
念願の50cmに後チョットの良型でした


カゴ釣りのイサギとふかせ釣りのイサギです
カゴ釣りのイサギは中川さん・ふかせ釣りのイサギは神戸・糸岡さんの獲物です
サイズ的には若干カゴのイサギに軍配かな??


他のヒトのイサギもグレも上等の獲物でした
まだまだ楽しめそうな釣果写真です



カゴ釣りのイサギとふかせ釣りのイサギです

他のヒトのイサギもグレも上等の獲物でした

nakamototosen at 15:20|Permalink│Comments(0)│
2025年06月01日
2025年05月29日
今日の釣果です!!
今日は少人数でしたが釣果の方は相変わらずイサギが好調に成って来ています
カゴ釣りでのイサギはフカセに比べるとひとかさサイズが良いですね〜
丸みも有って肉厚に感じます
明日・明後日はチョット厳しそうですね〜


明日・明後日はチョット厳しそうですね〜

nakamototosen at 16:33|Permalink│Comments(0)│
2025年05月28日
今日の釣果です
今日の釣果報告です
トップは60cm級の真鯛から50cmのイシダイ・40cm級のイサギにグレとバラエチィに富んだ釣果報告に成りました
イサギのサイズが良くなって40cm級の獲物が数も上等に成って来出しました
ここ何回かの底物師さんは順調に50cm超えの良い型の獲物を上げてくれて居ます
何かが有るのやろうと思いますがお見事です







イサギのサイズが良くなって40cm級の獲物が数も上等に成って来出しました
何かが有るのやろうと思いますがお見事です






nakamototosen at 15:05|Permalink│Comments(0)│
2025年05月26日
きょうは・・・
今日はチョット北寄りの風がジンワリ沖から吹いて来てチョット寒さを感じる状況でした
一隻だけでの釣行でしたが皆さんお土産程度のグレとイサギをゲットしてくれて居ました
イサギは若干場所に依るサイズのムラは感じましたが楽しみな釣果を見せて貰いました
グレもそれなりのサイズの獲物が見えていました
充分期待の持てる状況に成って来たと思います




イサギは若干場所に依るサイズのムラは感じましたが楽しみな釣果を見せて貰いました



nakamototosen at 14:45|Permalink│Comments(0)│
2025年05月20日
きょうは・・・
今日のトップは宇和島・古田さんの50cmオーバーのつがいのイシダイの写真です
最近古田さん殆ど坊主無しで良型の獲物をゲットしてくれています
今日は1枚お裾分けして貰いましたので遠慮なくご馳走に成ります


他の釣り氏さん達も良型のイサギにグレ・スズキと獲物をゲットしてくれて居ました
最近は何とかボウズ逃れをしながら良い型のイサギにグレが目に着いてきました
これから梅雨グレシーズンが本格化して来たらモット釣果が賑わいそうです




今日は1枚お裾分けして貰いましたので遠慮なくご馳走に成ります

他の釣り氏さん達も良型のイサギにグレ・スズキと獲物をゲットしてくれて居ました
これから梅雨グレシーズンが本格化して来たらモット釣果が賑わいそうです



nakamototosen at 14:43|Permalink│Comments(0)│
2025年05月18日
今日の釣果です
高知・白井さんの釣果です
見事なグレとイサギの好釣果でした
今年に成って見事な釣果に同行者も皆さん驚いて居ました
本船でも久し振りの大漁・大漁でした


もう一人の同行者の宮下さんの釣果もお見事でした
朝のウチ少々のうねり波に用心しながらの磯上がりでしたが見事な獲物ゲット有難う御座いました


ルアーで釣った根魚もマズマズでした
今日はグレ・イサギの釣果が見事でした
有難う御座いました



もう一人の同行者の宮下さんの釣果もお見事でした

ルアーで釣った根魚もマズマズでした

nakamototosen at 14:45|Permalink│Comments(0)│
2025年05月15日
2025年05月11日
2025年05月05日
今日の釣果です
今日の釣果です
カゴ釣りのイサギは40cm級の体高の有る見事なイサギでした


ふかせ釣りのイサギはカゴの獲物に比べたらヒトサイズ小さく感じました


初めての磯釣りチャレンジで釣り上げたグレの写真です
今後の活躍を期待したいと思います
この一枚は外道に成りますが見事な大きさの獲物でした
次はチョット違った獲物のゲットをお願いします



ふかせ釣りのイサギはカゴの獲物に比べたらヒトサイズ小さく感じました

初めての磯釣りチャレンジで釣り上げたグレの写真です

nakamototosen at 15:00|Permalink│Comments(0)│
2025年05月04日
きょうは・・・
昨日は底者さんが60cm弱のイシダイを釣り上げてくれて居たのですが写真の取り込みに失敗して画像の紹介が出来ませんでした
折角良い獲物を釣り上げて貰った宇和島のFさん本当に申し訳有りませんでした
なんとか又良い獲物を釣り上げて下さい
今日は折角出たのですが結構北寄りの風が強く釣果に結び付きませんでした

折角良い獲物を釣り上げて貰った宇和島のFさん本当に申し訳有りませんでした
nakamototosen at 14:37|Permalink│Comments(0)│
2025年04月30日
今日の釣果です!!
カゴ釣りさんの釣果です
50cm級の真鯛に40cmクラスのイサギの好釣果でした
フカセでは50cmオーバーの白いグレが・・・
それでも一時の様に何も反応が無いよりは楽しみが増えて来たと思います
今後に期待しましょう

それでも一時の様に何も反応が無いよりは楽しみが増えて来たと思います
nakamototosen at 14:30|Permalink│Comments(0)│
2025年04月29日
2025年04月22日
きょうは・・・徳島・市原さん他の釣果です
今日は天気予報がチョット心配の中やれる所でやれる間で良いよと言って貰った釣り師さんと一路沖へ・・・
何時かは波と風が付いて来ると思いながら警戒しながらの釣行でしたが無事に時間迄やれて港に着いて釣り師さんのクーラーを開けてビックリ玉手箱状態に感謝・感謝でした
50cmの良型尾長グレが2枚にイサギも40cm超えの丸みの有る良型他少々の枚数に真鯛混じりで最近では無かった大漁・大漁の釣果でした
釣り師さんおつかれ様でしたそして有難う御座いました


何時かは波と風が付いて来ると思いながら警戒しながらの釣行でしたが無事に時間迄やれて港に着いて釣り師さんのクーラーを開けてビックリ玉手箱状態に感謝・感謝でした
50cmの良型尾長グレが2枚にイサギも40cm超えの丸みの有る良型他少々の枚数に真鯛混じりで最近では無かった大漁・大漁の釣果でした

nakamototosen at 14:52|Permalink│Comments(0)│
2025年04月21日
2025年04月20日
2025年04月19日
久し振りの出航でした
ほぼ一週間振りの出航でした
釣果はカゴ氏さんのイサギがチョットの寂しかったですが型は良型の部類に入ると思います
明日から出航時間が早く成り通し釣りも始まります
朝から晩の6時迄の長時間釣行に成りますが頑張って下さい
昼釣りは現状ですので宜しく

朝から晩の6時迄の長時間釣行に成りますが頑張って下さい
nakamototosen at 14:48|Permalink│Comments(0)│
























































