釣果情報
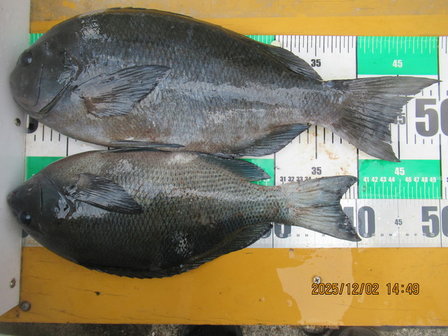
2025年12月03日
12月2日の釣果です!
昨日投稿に失敗して遅れましたが無事写真投稿に成りました
ジンワリとグレの姿が見えてき出しました
水温が若干上下動して日々の釣果に変動が有りますがジンワリと楽しみが感じられて来出しました
後は天候が落ち着いて来て呉れだすと釣り師さん達に喜んで貰えそうでうね〜
今日から明日・明後日まで天候が不安ですが週末の土日は又釣行出来そうです
今年は天気予報が若干変動が激しく信用が出来ませんが1〜2日位のサイクルなら大丈夫そうなのでシッカリ確認しながら釣行計画をして下さい
今後の釣果に期待します






水温が若干上下動して日々の釣果に変動が有りますがジンワリと楽しみが感じられて来出しました
後は天候が落ち着いて来て呉れだすと釣り師さん達に喜んで貰えそうでうね〜
今年は天気予報が若干変動が激しく信用が出来ませんが1〜2日位のサイクルなら大丈夫そうなのでシッカリ確認しながら釣行計画をして下さい





nakamototosen at 09:16|Permalink│Comments(0)│
2025年11月30日
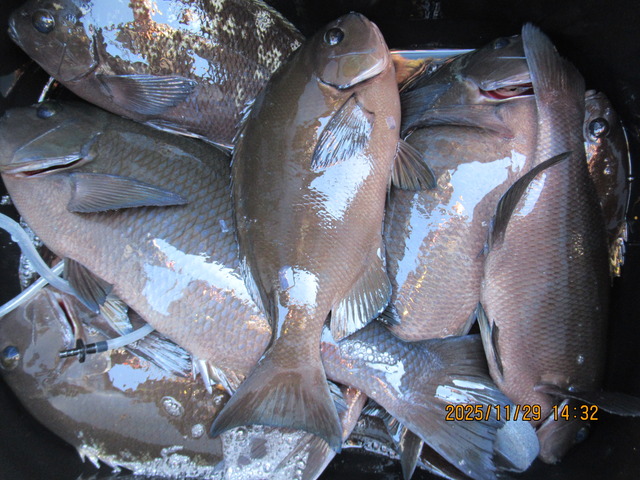
2025年11月29日
今日の釣果です!!





今日の釣果報告です
50cmにチョット届きませんでしたが綺麗なグレの報告に成りました
師走がそこまで近づいて来ましたので今後の釣果も充分に期待できそうです
nakamototosen at 16:07|Permalink│Comments(0)│
2025年11月27日
今日の釣果です!!
今日の釣果です
アイのおっちゃんと姉御の良型グレの写真と他の釣り師さんの釣果です
お昼を境に海況がにわかに変わり早めの帰港に成りましたがマズマズのサイズのグレを見せて頂きました
写真の取り込みがチョット部品の欠陥に依り上手く行かなんだみたいですが明日部品交換に行ってきます
今後は正常に成ることを期待しましょう



お昼を境に海況がにわかに変わり早めの帰港に成りましたがマズマズのサイズのグレを見せて頂きました
写真の取り込みがチョット部品の欠陥に依り上手く行かなんだみたいですが明日部品交換に行ってきます


nakamototosen at 17:16|Permalink│Comments(0)│
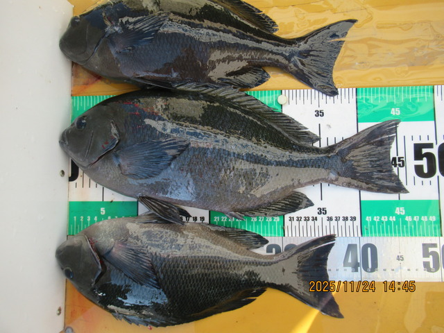
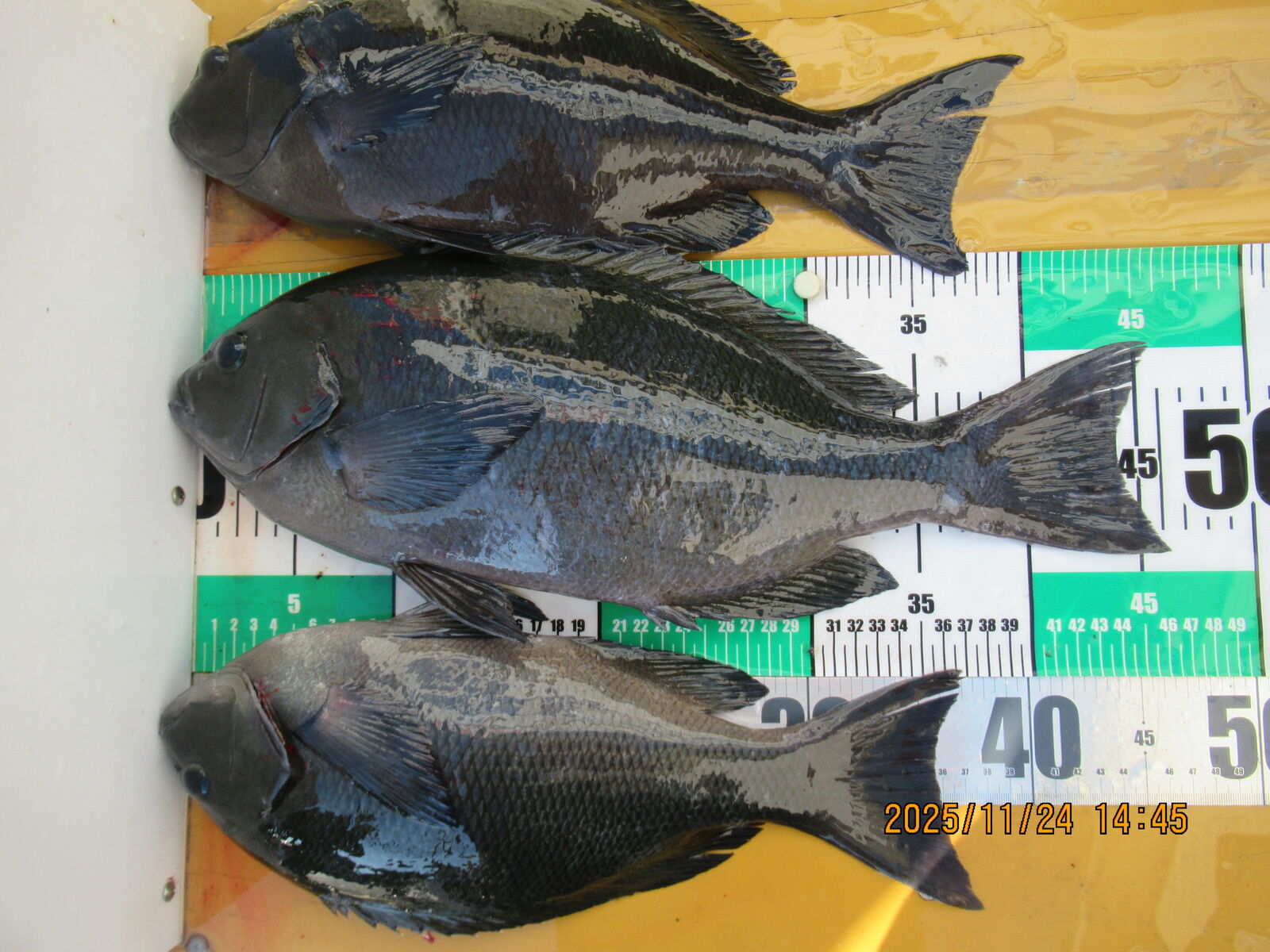
2025年11月24日
今日の釣果です!!
今日の釣果ですがグレもマズマズの数とサイズの獲物が見えて居ました
イサギも丸みが有りサイズも良かったと思います
天候さえ良ければ楽しめそうですが今週はチョット天気が心配ですね〜

本船は明日・明後日とも予約が無く休みに成りそうです
天気予報をしっかり確認しましょう





天候さえ良ければ楽しめそうですが今週はチョット天気が心配ですね〜
本船は明日・明後日とも予約が無く休みに成りそうです




nakamototosen at 15:21|Permalink│Comments(0)│
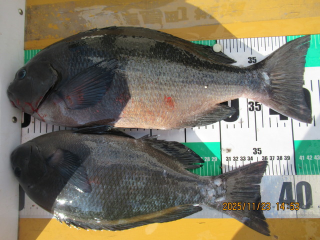
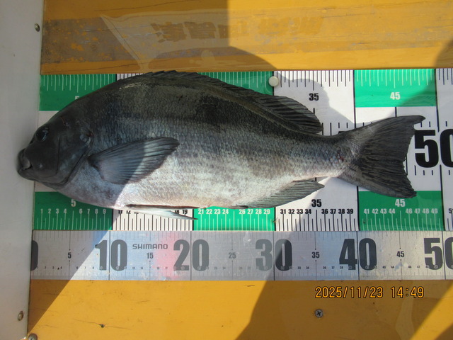
2025年11月23日
今日の釣果です!!
記事投稿がチョット遅くなりましたが今日は好天に恵まれ釣果の方も彼方此方でマズマズの型のグレにイサギ・他の獲物が姿を見せて呉れました
釣果写真が賑わうのは有り難い事ですね〜
明日も声を掛けて貰って居ますので頑張って出航します
皆さんの健闘を祈ります








釣果写真が賑わうのは有り難い事ですね〜







nakamototosen at 16:24|Permalink│Comments(0)│
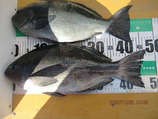
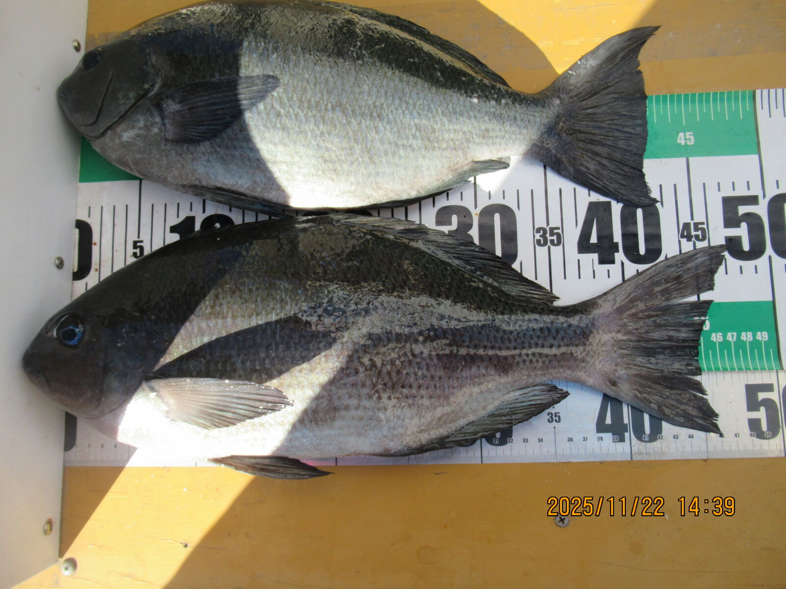
2025年11月22日
2025年11月21日
2025年11月20日
今日の釣果です
今日のトップは松山・中野さんの49cmグレ・他の獲物です
ジンワリと彼方此方でグレが姿を見せて呉れだしました
水温が21度台を指して居ました
ルアーでヤズにアカハタ等根魚が釣れて居ました
ジンワリと獲物が見えてき出しましたのでコレからの釣果が楽しみに成って来ました
天候さえ良ければ明日以降も出航致します





ルアーでヤズにアカハタ等根魚が釣れて居ました
天候さえ良ければ明日以降も出航致します




nakamototosen at 15:10|Permalink│Comments(0)│
2025年11月16日
2025年11月15日
今日の釣果です!!
今日はチョット私用で投稿が遅く成りました
ジンワリとグレが混じって姿を見せて呉れて居ました 
イサギはソコソコ丸みが有る良い型の獲物が見えて居ました
明日はチャーター船の為一般の釣り師さん達にご迷惑をお掛け致しますが宜しくご理解の程を・・・




イサギはソコソコ丸みが有る良い型の獲物が見えて居ました



nakamototosen at 16:53|Permalink│Comments(0)│
2025年11月11日
きょうは・・・
今日は天気予報も波1m位の予報での出航でした
が
現場の御五神に行くと何とも言えん白い波が磯に打ち寄せて居て釣り師さん達と暫く顔を見合わせながらどうするか思案していました
結果竹ヶ島に帰る事にして一路竹釣行に切り替えました
竹ヶ島は何とかやれたのですが今日の釣果はハタが素晴らしかったです
同行者の皆さんもこれは凄いと驚いて居ました
マッ何とか時間までやれたので良かったです
とにかく今日の磯波は今まで余り出会った事の無いような波でした



現場の御五神に行くと何とも言えん白い波が磯に打ち寄せて居て釣り師さん達と暫く顔を見合わせながらどうするか思案していました
結果竹ヶ島に帰る事にして一路竹釣行に切り替えました
同行者の皆さんもこれは凄いと驚いて居ました


nakamototosen at 14:57|Permalink│Comments(0)│
2025年08月25日
2025年07月10日
2025年07月06日
今日の釣果です!!
今日のトップの釣果はチョット小振りに感じましたが数はお見事でした
2番手の人は少し離れた所での釣果ですがサイズは結構良かったです
場所に依る差はチョット感じますがサメの攻撃を受けなければソコソコの釣果を楽しめそうです
明日からは予約が有りませんが3名様揃えば出航します



場所に依る差はチョット感じますがサメの攻撃を受けなければソコソコの釣果を楽しめそうです


nakamototosen at 14:03|Permalink│Comments(0)│
2025年07月05日
今日の釣果です!!
今日の釣果です
最近のイサギはサイズにムラが目に付いてきました
一時腕っぷしサイズの丸みの有るイサギがメインで見えて居ましたが最近はウリ坊混じりで若干小振りに感じられて来ました
グレもマバラな釣果ですしこの時期旨いイサギがもうチョットサイズが良ければ良いですね〜
今日は7月5日・・チョット不安めいた情報が錯綜して居ましたが午前の5時は無事経過しましたので午後の分をもう一度気を付けて無事に過ごしましょう



グレもマバラな釣果ですしこの時期旨いイサギがもうチョットサイズが良ければ良いですね〜
今日は7月5日・・チョット不安めいた情報が錯綜して居ましたが午前の5時は無事経過しましたので午後の分をもう一度気を付けて無事に過ごしましょう


nakamototosen at 14:42|Permalink│Comments(0)│
2025年07月04日
2025年07月03日
今日の釣果です!!
今日の釣果です
スズキにグレ・イサギが順調に姿を見せて呉れて居ました
場所に依ってはサメが襲って来る所も有ったようですがソコソコの釣果は出ている様です
明日も出る予定ですが暑さ対策は充分にやって置いて下さい
氷とか飲み物対策・置き場に困れば船を利用して下さい



明日も出る予定ですが暑さ対策は充分にやって置いて下さい


nakamototosen at 14:42|Permalink│Comments(0)│
2025年07月01日
2025年06月30日
きょうは・・・
今日は3名様での出航でした
カゴ師さんの釣果ですがサイズも丸みを帯びた良いイサギの釣果でした
明日以降の釣果にも充分期待が持てそうな報告でした
お裾分けを頂き今夜も良い夕食に成りそうです・・ゴチに成ります


nakamototosen at 13:51|Permalink│Comments(0)│













































































