2025年12月06日
今日の釣果です!!
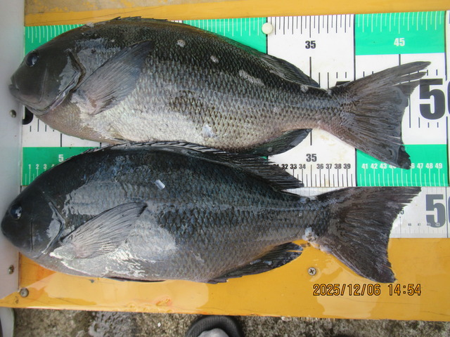
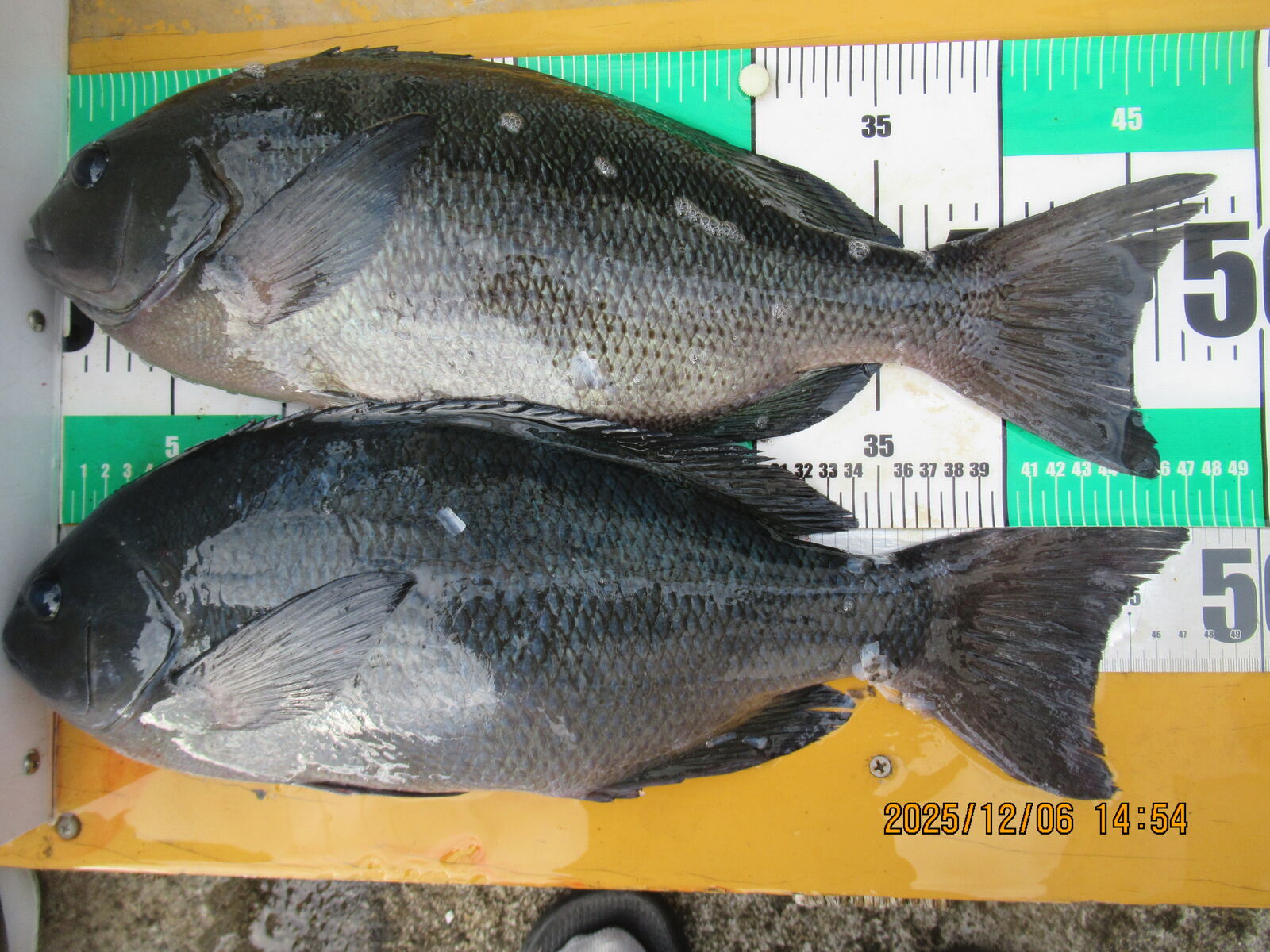
4日振りの出航でした
マズマズのグレの釣果にイサギ・アカハタ等がそれなりのサイズに数が見えて居ました
気温が下がって朝のうちは寒さが身にしむように成って来ました
インフルエンザも流行って来ていますので皆さん風邪など召されません様に防寒対策に充分気を付けて下さい
明日からも少人数ですが頑張って出航します





気温が下がって朝のうちは寒さが身にしむように成って来ました
インフルエンザも流行って来ていますので皆さん風邪など召されません様に防寒対策に充分気を付けて下さい









