中本渡船 釣果情報
今日の釣果です
│
きょうの釣果です
2023年01月02日
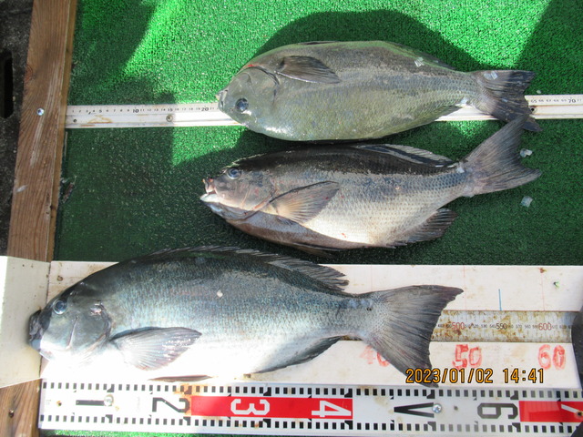
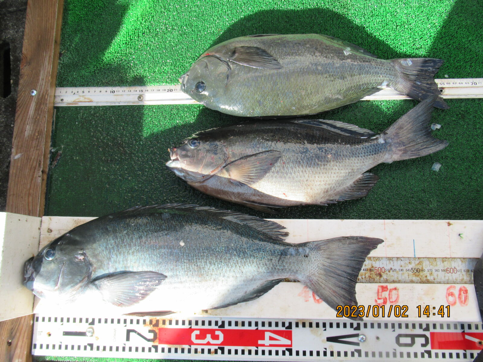
今日の大物
香川・橋川(親父さん)の51・5cmの大物グレです
一躍月間賞候補に名乗りです
nakamototosen at 15:57│
Comments(0)
│
│
月間賞
|
グレ情報
このBlogのトップへ
│
前の記事
│
次の記事
この記事にコメントする
名前:
メール:
URL:
情報を記憶:
評価:
--
1(最低)
2
3
4
5(最高)
顔
星
今日の釣果です
│
きょうの釣果です
アクセスカウンター
今日:
昨日:
累計:
コンテンツ
トップページ
釣果情報
民宿 まる屋
料金・サービス内容
磯<いそ>マップ
アクセス
年間予定・出航予定
リンク
Categories
なかもと渡船からのお知らせ (2)
釣果情報 (4102)
大会チーム (18)
月間賞 (184)
年間賞 (26)
大物賞 (12)
グレ情報 (2264)
真鯛情報 (182)
青物情報 (288)
底物情報 (369)
イサギ・シマアジ情報 (880)
その他 (1120)
Archives
月を選択
2026年01月
2025年12月
2025年11月
2025年10月
2025年09月
2025年08月
2025年07月
2025年06月
2025年05月
2025年04月
2025年03月
2025年02月
2025年01月
2024年12月
2024年11月
2024年10月
2024年09月
2024年08月
2024年07月
2024年06月
2024年05月
2024年04月
2024年03月
2024年02月
2024年01月
2023年12月
2023年11月
2023年10月
2023年09月
2023年08月
2023年07月
2023年06月
2023年05月
2023年04月
2023年03月
2023年02月
2023年01月
2022年12月
2022年11月
2022年10月
2022年09月
2022年08月
2022年07月
2022年06月
2022年05月
2022年04月
2022年03月
2022年02月
2022年01月
2021年12月
2021年11月
2021年10月
2021年09月
2021年08月
2021年07月
2021年06月
2021年05月
2021年04月
2021年03月
2021年02月
2021年01月
2020年12月
2020年11月
2020年10月
2020年09月
2020年08月
2020年07月
2020年06月
2020年05月
2020年04月
2020年03月
2020年02月
2020年01月
2019年12月
2019年11月
2019年10月
2019年09月
2019年08月
2019年07月
2019年06月
2019年05月
2019年04月
2019年03月
2019年02月
2019年01月
2018年12月
2018年11月
2018年10月
2018年09月
2018年08月
2018年07月
2018年06月
2018年05月
2018年04月
2018年03月
2018年02月
2018年01月
2017年12月
2017年11月
2017年10月
2017年09月
2017年08月
2017年07月
2017年06月
2017年05月
2017年04月
2017年03月
2017年02月
2017年01月
2016年12月
2016年11月
2016年10月
2016年09月
2016年08月
2016年07月
2016年06月
2016年05月
2016年04月
2016年03月
2016年02月
2016年01月
2015年12月
2015年11月
2015年10月
2015年09月
2015年08月
2015年07月
2015年06月
2015年05月
2015年04月
2015年03月
2015年02月
2015年01月
2014年12月
2014年11月
2014年10月
2014年09月
2014年08月
2014年07月
2014年06月
2014年05月
2014年04月
2014年03月
2014年02月
2014年01月
2013年12月
2013年11月
2013年10月
2013年09月
2013年08月
2013年07月
2013年06月
2013年05月
2013年04月
2013年03月
2013年02月
2013年01月
2012年12月
2012年11月
2012年10月
2012年09月
2012年08月
2012年07月
2012年06月
2012年05月
2012年04月
2012年03月
2012年02月
2012年01月
2011年12月
2011年11月
2011年10月
2011年09月
2011年08月
2011年07月
2011年06月
2011年05月
2011年04月
2011年03月
2011年02月
2011年01月
2010年12月
2010年11月
2010年10月
2010年09月
2010年08月
2010年07月
2010年06月
2010年05月
2010年04月
2010年03月
2010年02月
2010年01月
2009年12月
2009年11月
2009年10月
2009年09月
2009年08月
2009年07月
2009年06月
2009年05月
2009年04月
2009年03月
2009年02月
2009年01月
2008年12月
2008年11月
2008年10月
2008年09月
2008年08月
2008年07月
2008年06月
2008年05月
2008年04月
2008年03月
2008年02月
2008年01月
2007年12月
2007年11月
2007年10月
2007年09月
2007年08月
最新記事
いかがお過ごしですか??
天気予報です!!
連絡!!
テスト中
きょうは・・・
きょうは・・・
今日の釣果です!!
遅ればせながら・・・
きょうは・・・
帰って来ました!!
最新コメント
QRコード